Retour
Rechercher
Lieu
Où ?
    Type de bien
    Quel type de projet ?
    Particulier Entreprise
    Quel type de bien ?
        Prix
        Quel budget ?
              Surface
              Quelle surface ?
                    Pièces
                    Combien de pièces ?
                      Combien de chambres ?
                          4

                          Ventes de locaux commerciaux à Pierrelatte

                          Recherche 4
                          Carte
                          • Local commercial - 520 m² - 11 pièces
                          • Local commercial - 520 m² - 11 pièces
                          • Local commercial - 520 m² - 11 pièces
                          • Local commercial - 520 m² - 11 pièces
                          • Local commercial - 520 m² - 11 pièces
                          • Local commercial - 520 m² - 11 pièces Cliquez pour voir les 12 photos

                          Local commercial - 520 m² - 11 pièces

                          486 000 €
                          Guy / Safti "coté Pro", je vous propose à Pierrelatte, en Drome provençale ce local commercial et habitation idéalement situé sur un axe très fréquenté proche du centre ville. Ces murs commerciaux sont composés d'un local commercial de 392 m² très bien agencé disposant d'un espace d'accueil, d'un vaste et lumineux hall d'exposition, de trois bureaux, d'un salle d'attente fermée
                          Professionnel Publié il y a plus de 7 jours
                          Pierrelatte Parking
                          • Local commercial - 47 m² - 2 pièces
                          • Local commercial - 47 m² - 2 pièces
                          • Local commercial - 47 m² - 2 pièces
                          • Local commercial - 47 m² - 2 pièces
                          • Local commercial - 47 m² - 2 pièces

                          Local commercial - 47 m² - 2 pièces

                          86 550 €
                          Guy / Safti " coté Pro", je vous propose à Pierrelatte en Drome Provencale, ce salon de coiffure moderne disposant d'un bel agencement et d'une jolie décoration offrant un emplacement privilégié au sein du centre commercial le plus fréquenté de la ville. Bénéficiant d'une exposition Sud-Ouest et d'un stationnement aisé avec des places extérieures, il attire une clientèle réguli
                          Professionnel Publié il y a plus de 7 jours
                          Pierrelatte
                          • Local commercial - 750 m² - 3 pièces
                          • Local commercial - 750 m² - 3 pièces
                          • Local commercial - 750 m² - 3 pièces
                          • Local commercial - 750 m² - 3 pièces
                          • Local commercial - 750 m² - 3 pièces
                          • Local commercial - 750 m² - 3 pièces Cliquez pour voir les 6 photos

                          Local commercial - 750 m² - 3 pièces

                          180 000 €
                          Guy, SAFTI "coté PRO" vous propose à la vente à Pierrelatte 26700, ce fonds de commerce de vente d'appareils électroménagers, télé-hifi, vidéo offrant un emplacement idéal au cœur d'une ville dynamique. historiquement crée il y a plus de 60 ans cette entreprise reconnue à une parfaite connaissance du secteur et y possède une large clientèle. La présence de places de parking ext
                          Professionnel Publié il y a plus de 7 jours
                          Pierrelatte
                          • Local commercial - 700 m²
                          • Local commercial - 700 m²
                          • Local commercial - 700 m²
                          • Local commercial - 700 m²
                          • Local commercial - 700 m²
                          • Local commercial - 700 m² Cliquez pour voir les 9 photos

                          Local commercial - 700 m²

                          525 000 €
                          Iad France - Cyril Allaire (06 52 64 03 24) vous propose : À VENDRE - PIERRELATTE - BATIMENT COMMERCIAL 700 m² environ (opportunité d’investissement avec locataires en place) – TERRAIN 5211 m² environ LOCALISATION PRIVILEGIEE : Situé à Pierrelatte, au cOEur d’une zone d’activité touristique bénéficiant d’une excellente visibilité, ce bâtiment indépendant de 700 m² environ en tr
                          Professionnel Publié il y a plus de 7 jours
                          Pierrelatte
                          2

                          Ventes de locaux commerciaux à Saint-Paul-Trois-Châteaux

                          (6.5 km)
                          • Local commercial - 130 m² - 4 pièces
                          • Local commercial - 130 m² - 4 pièces
                          • Local commercial - 130 m² - 4 pièces
                          • Local commercial - 130 m² - 4 pièces
                          • Local commercial - 130 m² - 4 pièces
                          • Local commercial - 130 m² - 4 pièces Cliquez pour voir les 6 photos

                          Local commercial - 130 m² - 4 pièces

                          273 000 €
                          Opportunité rare au cœur de Saint-Paul-Trois-Châteaux ! Local commercial en copropriété d'une superficie d'environ 115 m², actuellement occupé par Sonance Audition (bail en cours). Le bien est parfaitement agencé et comprend : 4 cabinets fonctionnels 1 salle d'accueil et d'attente 1 WC 2 places de stationnement privées Atouts supplémentaires : Emplacement de qualité dans
                          Professionnel Publié il y a plus de 7 jours
                          Saint-Paul-Trois-Châteaux Parking
                          • Local commercial - 163 m²
                          • Local commercial - 163 m²
                          • Local commercial - 163 m²
                          • Local commercial - 163 m²
                          • Local commercial - 163 m²
                          • Local commercial - 163 m² Cliquez pour voir les 8 photos

                          Local commercial - 163 m²

                          335 000 €
                          Iad France - Cyril Allaire (06 52 64 03 24) vous propose : À VENDRE - SAINT-PAUL TROIS CHÂTEAUX : LOCAL COMMERCIAL NEUF DANS ZONE ARTISANALE ET COMMERCIALE AVEC BELLE VISIBILITE - 163 m² environ - AVEC PLACE DE PARKING Le prix affiché du local est en HT : 335.000€ HT (soit 402.000 TTC) Emplacement stratégique : situé dans un parc d’activités récent et dynamique, ce local profes
                          Professionnel Publié il y a plus de 7 jours
                          Saint-Paul-Trois-Châteaux
                          1

                          Vente de local commercial à Donzère

                          (7.5 km)
                          • Local commercial - 150 m²
                          • Local commercial - 150 m²
                          • Local commercial - 150 m²
                          • Local commercial - 150 m²

                          Local commercial - 150 m²

                          132 000 €
                          Iad France - Laurent Canet (06 27 95 38 21) vous propose : URGENT cause santé Café, Bar, PMU, FDJ avec logement – Donzère (Drôme) Situé sur la place principale, cet établissement bénéficie d’un emplacement central et visible, au cOEur de la vie du village. Il propose une activité diversifiée de bar (licence IV), café, jeux de la Française des Jeux et PMU. L’ensemble se compose
                          Professionnel Publié il y a plus de 7 jours
                          Donzère
                          2

                          Ventes de locaux commerciaux à Lapalud

                          (8.2 km)
                          • Local commercial - 430 m² - 4 pièces
                          • Local commercial - 430 m² - 4 pièces
                          • Local commercial - 430 m² - 4 pièces
                          • Local commercial - 430 m² - 4 pièces
                          • Local commercial - 430 m² - 4 pièces
                          • Local commercial - 430 m² - 4 pièces Cliquez pour voir les 11 photos

                          Local commercial - 430 m² - 4 pièces

                          450 000 €
                          Situé à Lapalud (84840), en vente en exclusivité, ce local industriel et commercial de 430 m² bénéficie d'un environnement dynamique et accueillant en zone d'activité. Sa proximité avec la ville, en première ligne et en bordure de route nationale offre une visibilité et des possibilités optimales au développement de toute entreprise. De plus, son exposition plein sud permet une
                          Professionnel Publié il y a plus de 7 jours
                          Lapalud Parking Exposition Sud
                          Local commercial - 140 m²

                          Local commercial - 140 m²

                          115 000 €
                          Iad France - Romain Gras (07 83 78 99 33) vous propose : À Lapalud, au cOEur du village, est proposé à la vente un fonds de commerce de boulangerie–pâtisserie bénéficiant d’un emplacement central avec une visibilité optimale. L’établissement profite d’un passage constant, assurant une activité régulière et rentable tout au long de l’année. Le local de 74 m² environ est parfaite
                          Professionnel Publié il y a plus de 7 jours
                          Lapalud
                          1

                          Vente de local commercial à Saint-Marcel-d'Ardèche

                          (8.5 km)
                          • Local commercial - 145 m² - 2 pièces
                          • Local commercial - 145 m² - 2 pièces
                          • Local commercial - 145 m² - 2 pièces
                          • Local commercial - 145 m² - 2 pièces
                          • Local commercial - 145 m² - 2 pièces
                          • Local commercial - 145 m² - 2 pièces Cliquez pour voir les 8 photos

                          Local commercial - 145 m² - 2 pièces

                          249 000 €
                          Murs commerciaux situés au cœur du village dynamique de Saint-Marcel-d'Ardèche, dans un environnement vivant toute l'année avec commerces, services et stationnement à proximité. D'une surface d'environ 154 m², le bien se compose de trois pièces principales ainsi que de sanitaires, offrant de nombreuses possibilités d'aménagement pour une activité commerciale, artisanale, libér
                          Professionnel Publié il y a plus de 7 jours
                          Saint-Marcel-d'Ardèche
                          1

                          Vente de local commercial à Saint-Restitut

                          (8.9 km)
                          • Local commercial - 380 m² - 5 pièces
                          • Local commercial - 380 m² - 5 pièces
                          • Local commercial - 380 m² - 5 pièces
                          • Local commercial - 380 m² - 5 pièces
                          • Local commercial - 380 m² - 5 pièces

                          Local commercial - 380 m² - 5 pièces

                          550 000 €
                          Local de 367 m² Loué Rare à la vente, en exclusivité, les murs d'un local commercial de grande superficie stratégiquement positionné dans une Zone d'Activité (ZA) à Saint-Restitut. Ce bien est vendu occupé par un locataire exploitant un fonds de commerce de Bar Musical très bien établi, dont l'activité est pérenne et reconnue comme fonctionnant très bien dans la région. RAPPE
                          Professionnel Publié il y a plus de 7 jours
                          Saint-Restitut Terrasse
                          1

                          Vente de local commercial à Saint-Montan

                          (9.1 km)
                          • Local commercial - 45 m² - 2 pièces
                          • Local commercial - 45 m² - 2 pièces
                          • Local commercial - 45 m² - 2 pièces
                          • Local commercial - 45 m² - 2 pièces
                          • Local commercial - 45 m² - 2 pièces
                          • Local commercial - 45 m² - 2 pièces Cliquez pour voir les 13 photos

                          Local commercial - 45 m² - 2 pièces

                          198 450 €
                          Située dans le Sud Ardèche, à Saint-Montan (07220), village classé de caractère, venez découvrir cette opportunité rare sur le secteur : la vente des murs commerciaux et du fonds de commerce de ce local professionnel (Licence Restaurant). Dans ce village médiéval, on aime flâner dans les ruelles, visiter le château et les chapelles, rencontrer les artistes …mais aussi prendre l
                          Professionnel Publié il y a plus de 7 jours
                          Saint-Montan
                          3

                          Ventes de locaux commerciaux à Valaurie

                          (10.5 km)
                          • Local commercial - 206 m²
                          • Local commercial - 206 m²
                          • Local commercial - 206 m²
                          • Local commercial - 206 m²
                          • Local commercial - 206 m²
                          • Local commercial - 206 m² Cliquez pour voir les 8 photos

                          Local commercial - 206 m²

                          320 000 € HT
                          VALAURIE , BATIMENT COMMERCIAL avec une magnifique VISIBILITE (15 000 véhicules/jour en haute saison). Situé dans la dynamique zone artisanale de Valaurie, ce bâtiment commercial d'une surface de 200 m2 environ + mezzanine d'environ 50 m2 dispose d'un large espace goudronné de plus de 600 m2 se décomposant ainsi : un espace parking/exposition d'une surface de 618 m2, Un Bâtim
                          Professionnel Publié il y a plus de 7 jours Non géolocalisée
                          Valaurie Parking
                          • Local commercial - 175 m²
                          • Local commercial - 175 m²
                          • Local commercial - 175 m²
                          • Local commercial - 175 m²
                          • Local commercial - 175 m²
                          • Local commercial - 175 m² Cliquez pour voir les 6 photos

                          Local commercial - 175 m²

                          196 667 € HT
                          VALAURIE , BATIMENT COMMERCIAL avec une très belle VISIBILITE (15000 véhicules/jour en haute saison). Situé dans une zone artisanale dynamique de Valaurie, ce local commercial de 129 M2 au sol, avec mezzanine de 40 m2, constitue une excellente opportunité pour un investisseur à la recherche d'un bien sécurisé et déjà loué. Le local est actuellement occupé par un opticien, acti
                          Professionnel Publié il y a plus de 7 jours Non géolocalisée
                          Valaurie Parking
                          • Local commercial - 182 m²
                          • Local commercial - 182 m²
                          • Local commercial - 182 m²
                          • Local commercial - 182 m²
                          • Local commercial - 182 m²
                          • Local commercial - 182 m² Cliquez pour voir les 6 photos

                          Local commercial - 182 m²

                          196 667 € HT
                          VALAURIE , BATIMENT COMMERCIAL avec une très belle VISIBILITE (15000 véhicules/jour en haute saison). Situé à Valaurie, au coeur de la Drôme Provençale, ce local commercial de 182 m2 (140 m2 au sol + mezzanne) représente une opportunité d'investissement clés en main. Le bien est actuellement loué à un pisciniste, garantissant une rentabilité immédiate à l'acquéreur. Le locatair
                          Professionnel Publié il y a plus de 7 jours Non géolocalisée
                          Valaurie Parking
                          1

                          Vente de local commercial à Saint-Martin-d'Ardèche

                          (13.4 km)
                          • Local commercial - 99 m² - 4 pièces
                          • Local commercial - 99 m² - 4 pièces
                          • Local commercial - 99 m² - 4 pièces
                          • Local commercial - 99 m² - 4 pièces
                          • Local commercial - 99 m² - 4 pièces
                          • Local commercial - 99 m² - 4 pièces Cliquez pour voir les 17 photos

                          Local commercial - 99 m² - 4 pièces

                          199 000 €
                          À Vendre – Local Commercial / Restaurant – 99 m² Découvrez cette belle opportunité située à Saint Martin d'Ardèche, idéalement placée a l'entrée es gorges de l'Ardèche, parfaite pour une activité de restauration ou tout autre commerce de bouche. Ce local de 99 m² se compose de : Une entrée / réception répartie en 2 salles, 2 salles de restaurant, terrasse, Une cuisine prof
                          Professionnel Publié il y a plus de 7 jours
                          Saint-Martin-d'Ardèche Terrasse Parking
                          4

                          Ventes de locaux commerciaux à Pont-Saint-Esprit

                          (13.5 km)
                          • Local commercial - 40 m²
                          • Local commercial - 40 m²
                          • Local commercial - 40 m²

                          Local commercial - 40 m²

                          270 000 €
                          Iad France - Laurent Canet (06 27 95 38 21) vous propose : Tabac – Presse – FDJ – PMU – Relais Colis Opportunité rare : établissement situé sur l’axe principal du centre-ville, bénéficiant d’un fort passage et de parkings à proximité. Affaire saine et rentable générant plus de 140 000 € de commissions annuelles et plus de 50 000 € de chiffre d’affaires taxable. Excellent rappor
                          Professionnel Publié il y a plus de 7 jours
                          Pont-Saint-Esprit
                          • Local commercial - 70 m²
                          • Local commercial - 70 m²
                          • Local commercial - 70 m²
                          • Local commercial - 70 m²
                          • Local commercial - 70 m²

                          Local commercial - 70 m²

                          71 000 €
                          Iad France - Laurent Canet (06 27 95 38 21) vous propose : Fonds de commerce Presse / Cadeaux / FDJ / PMU – Pont-Saint-Esprit (30) Affaire saine située au cOEur d’une zone commerciale très fréquentée, emplacement premium avec excellente visibilité, parking facile et nombreux commerces à proximité. Activités : Presse, FDJ, PMU, Cadeaux, papeterie carterie Tenue par une gérante a
                          Professionnel Publié il y a plus de 7 jours
                          Pont-Saint-Esprit
                          Local commercial - 505 m² - 3 pièces

                          Local commercial - 505 m² - 3 pièces

                          395 000 €
                          Murs commerciaux idéalement situé, dans une zone commerciale avec parking Cette annonce référence 234431 vous est présentée par votre agent commercial BSK Immobilier ANGELIQUE FEMINIER (EI) immatriculé au RSAC de NIMES (30000) sous le numéro 85395772800019. Prix du bien : 395 000,00 € Les honoraires d'agence sont à la charge du vendeur. Non soumis au DPE. Les informations s
                          Professionnel Publié il y a plus de 7 jours
                          Pont-Saint-Esprit
                          • Local commercial - 164 m² - 6 pièces
                          • Local commercial - 164 m² - 6 pièces
                          • Local commercial - 164 m² - 6 pièces
                          • Local commercial - 164 m² - 6 pièces
                          • Local commercial - 164 m² - 6 pièces
                          • Local commercial - 164 m² - 6 pièces Cliquez pour voir les 6 photos

                          Local commercial - 164 m² - 6 pièces

                          254 400 €
                          A vendre en centre ville de Pont Saint Esprit Une boucherie-charcuterie (murs et fond) avec un appartement de fonction, le tout pour une surface totale de 164 m². Au rez-de-chaussée le local commercial avec le magasin, 3 chambres froides, une cuisine et une réserve, le tout climatisé. Au 1er et 2e étage : un appartement de 54 m² avec 2 chambres et une terrasse de 16m² Bon
                          Professionnel Publié il y a plus de 7 jours
                          Pont-Saint-Esprit Parking
                          2

                          Ventes de locaux commerciaux à Grignan

                          (17.5 km)
                          • Local commercial - 170 m²
                          • Local commercial - 170 m²
                          • Local commercial - 170 m²
                          • Local commercial - 170 m²
                          • Local commercial - 170 m²
                          • Local commercial - 170 m² Cliquez pour voir les 9 photos

                          Local commercial - 170 m²

                          220 000 €
                          Iad France - Vanessa Chevalier (06 14 28 08 08) vous propose : À SAISIR – Superbe opportunité Restaurant & Bar à Vin Charmant village à proximité de Grignan. Belle opportunité à ne pas manquer ! Au cOEur d’un village provençal recherché, cet établissement bénéficie d’un emplacement stratégique sur la place principale, dans un environnement dynamique et à forte attractivité tour
                          Professionnel Publié le 15 févr. à 07:58
                          Grignan
                          • Local commercial - 553 m²
                          • Local commercial - 553 m²
                          • Local commercial - 553 m²
                          • Local commercial - 553 m²
                          • Local commercial - 553 m²
                          • Local commercial - 553 m² Cliquez pour voir les 10 photos

                          Local commercial - 553 m²

                          816 000 €
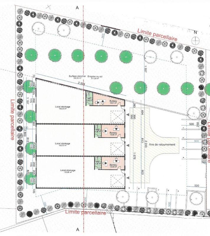
                          Iad France - Myriam Liccia (06 88 74 59 90) vous propose : Entrepôt professionnel neuf – Plateau modulable – Emplacement stratégique à forte visibilité Sur un terrain entièrement clos de 2 265 m² environ, découvrez ce bâtiment d’activité neuf à l’architecture soignée, offrant une excellente visibilité en bordure d’un axe très fréquenté. Pensé comme un outil de travail évolutif,
                          Professionnel Publié le 15 févr. à 07:57
                          Grignan
                          1

                          Vente de local commercial à Espeluche

                          (18.3 km)
                          • Local commercial - 120 m²
                          • Local commercial - 120 m²
                          • Local commercial - 120 m²
                          • Local commercial - 120 m²
                          • Local commercial - 120 m²
                          • Local commercial - 120 m² Cliquez pour voir les 7 photos

                          Local commercial - 120 m²

                          90 000 €
                          ESPELUCHE au centre du village à vendre les murs d'un local commercial vide ancien bar restaurant de 120 m² avec terrasse louée à la Mairie. Possibilité toutes activités.
                          Professionnel Publié il y a plus de 7 jours Non géolocalisée
                          Espeluche Parking
                          2

                          Ventes de locaux commerciaux au Teil

                          (19.2 km)
                          • Local commercial - 40 m²
                          • Local commercial - 40 m²
                          • Local commercial - 40 m²
                          • Local commercial - 40 m²

                          Local commercial - 40 m²

                          135 000 €
                          Iad France - Laurent Canet (06 27 95 38 21) vous propose : Tabac – Presse – Loto – FDJ – E-Cig-Epicerie Opportunité idéale pour un couple, Affaire rentable et parfaitement structurée Situé sur un axe à fort passage en zone urbaine, ce tabac-presse bénéficie d’un emplacement stratégique avec stationnement aisé : arrêt-minute, parking à proximité immédiate et nombreuses places de
                          Professionnel Publié il y a plus de 7 jours
                          Le Teil
                          • Local commercial - 80 m²
                          • Local commercial - 80 m²
                          • Local commercial - 80 m²
                          • Local commercial - 80 m²
                          • Local commercial - 80 m²

                          Local commercial - 80 m²

                          174 000 €
                          Iad France - Laurent Canet (06 27 95 38 21) vous propose : Tabac Presse FDJ PMU – Emplacement Premium Fonds de commerce Tabac Presse FDJ PMU, idéalement situé sur une place stratégique très fréquentée du centre ville, bénéficiant d’une excellente visibilité et d’un stationnement facile. Chiffres Clés : CA taxable : 77 000 € Commissions : 98 000 € EBE Retraité 80000 Execellent r
                          Professionnel Publié il y a plus de 7 jours
                          Le Teil
                          8

                          Ventes de locaux commerciaux à Montélimar

                          (20.3 km)
                          • Local commercial - 300 m²
                          • Local commercial - 300 m²
                          • Local commercial - 300 m²
                          • Local commercial - 300 m²
                          • Local commercial - 300 m²
                          • Local commercial - 300 m² Cliquez pour voir les 6 photos

                          Local commercial - 300 m²

                          430 000 €
                          Iad France - Florian Delanoe (06 71 90 58 93) vous propose : Fonds de commerce – Montélimar À vendre fonds de commerce d’un restaurant idéalement situé sur la route de Marseille à Montélimar, bénéficiant d’une forte visibilité et d’une belle notoriété locale. Créé en 2009, l’établissement dispose d’une clientèle fidèle et régulière, gage d’une activité stable et pérenne. Capaci
                          Professionnel Publié il y a plus de 7 jours
                          Montélimar
                          Local commercial - 60 m²

                          Local commercial - 60 m²

                          395 000 €
                          Iad France - Laurent Canet (06 27 95 38 21) vous propose : Tabac – Presse – FDJ – PMU idéalement situé sur une artère principale à deux pas du centre-ville. L’établissement bénéficie d’une forte visibilité, d’un flux constant de clientèle locale et de passage, et d’un stationnement facile à proximité. L’environnement commerçant et la fidélité de la clientèle assurent une activi
                          Professionnel Publié il y a plus de 7 jours
                          Montélimar
                          • Local commercial - 95 m²
                          • Local commercial - 95 m²
                          • Local commercial - 95 m²
                          • Local commercial - 95 m²
                          • Local commercial - 95 m²
                          • Local commercial - 95 m² Cliquez pour voir les 10 photos

                          Local commercial - 95 m²

                          98 000 €
                          Idéalement situé au 45 boulevard Meynot, à Montélimar, ce local commercial de 95 m² offre une belle opportunité pour toute activité professionnelle ou commerciale. 1. Informations LOI ALUR : Nombre de lots : 10. (gedeon_89271_31961521)
                          Professionnel Publié il y a plus de 7 jours Non géolocalisée
                          Montélimar Parking
                          • Local commercial - 100 m²
                          • Local commercial - 100 m²
                          • Local commercial - 100 m²
                          • Local commercial - 100 m²
                          • Local commercial - 100 m²

                          Local commercial - 100 m²

                          149 000 € HT
                          Investisseur - Deux locaux commerciaux avec vitrines 35 et 65m2 - Rue dynamique du centre-ville À saisir : ensemble de deux locaux commerciaux situés dans une rue animée du centre-ville, encore accessible en voiture, offrant une excellente visibilité grâce à leurs larges vitrines. Conformes aux normes PMR, ils se prêtent parfaitement à un projet professionnel ou à un investisse
                          Professionnel Publié il y a plus de 7 jours Non géolocalisée
                          Montélimar Parking
                          • Local commercial - 207 m²
                          • Local commercial - 207 m²
                          • Local commercial - 207 m²
                          • Local commercial - 207 m²

                          Local commercial - 207 m²

                          260 000 €
                          A VENDRE Local commercial de 207m². Local récent et aménagé, composé d'une grande surface commerciale, de deux bureaux et d'un espace de stockage avec accès par porte sectionnelle. L'ensemble est lumineux. Parking privé. Facile d'accès. Pas de murs porteur, facilement réaménageable. A visiter sans tarder!. Les informations sur les risques auxquels ce bien est exposé sont dispon
                          Professionnel Publié il y a plus de 7 jours Non géolocalisée
                          Montélimar Parking

                          Achats de locaux commerciaux à Pierrelatte. Toutes les ventes immobilières à Pierrelatte et aux environs.

                          Recherche en cours...
                          Rechercher dans cette zone