Retour
Rechercher
Lieu
Où ?
    Type de bien
    Quel type de projet ?
    Particulier Entreprise
    Quel type de bien ?
        Prix
        Quel budget ?
              Surface
              Quelle surface ?
                    Pièces
                    Combien de pièces ?
                      Combien de chambres ?
                          2

                          Locations de biens immobiliers pour professionnels à Verrières-le-Buisson

                          Recherche 2
                          Carte
                          • Entrepôt - 379 m²
                          • Entrepôt - 379 m²
                          • Entrepôt - 379 m²
                          • Entrepôt - 379 m²

                          Entrepôt - 379 m²

                          4 200 € / mois
                          Le cabinet GHT IMMO vous propose : Local d'activité de 379 m² comprenant : un espace de stockage de 260 m² avec une hauteur sous plafond de 2,80 m et une salle de bain ; un hangar indépendant de 80 m² ; un bureau de 9 m² en rez-de-chaussée ; 30 m² de bureaux au 1er étage avec sanitaires. Accès camion, idéal pour activité artisanale, stockage ou usage professionnel. Aucun trava
                          Professionnel Publié le 11 avril à 08:40 Non géolocalisée
                          Verrières-le-Buisson Parking
                          • Bureau - 200 m²
                          • Bureau - 200 m²
                          • Bureau - 200 m²
                          • Bureau - 200 m²

                          Bureau - 200 m²

                          1 750 € / mois
                          Le cabinet GHT IMMO vous propose : Un plateau de bureaux d'environ 200 m² situé au 1er étage, comprenant un accueil, 6bureaux et des sanitaires séparés. Un parking est disponible à l'avant du bâtiment. nGHT IMMO - 01 48 93 81 23 - Plus d'informations sur www.ghtimmo.fr (réf. 940048366)
                          Professionnel Publié il y a plus de 7 jours Non géolocalisée
                          Verrières-le-Buisson Parking
                          30

                          Locations de biens immobiliers pour professionnels à Massy

                          (1.8 km)
                          • Local d'activités - 820 m²
                          • Local d'activités - 820 m²
                          • Local d'activités - 820 m²
                          • Local d'activités - 820 m²
                          • Local d'activités - 820 m²
                          • Local d'activités - 820 m² Cliquez pour voir les 11 photos

                          Local d'activités - 820 m²

                          9 225 € / mois
                          My Transac vous propose à la location 2 lots d'activité de 410 et 820m² à Massy ZA de la Bonde Prestations : Bâtiment indépendant, situé sur un site clos et sécurisé, mettant à disposition deux lots à usage mixte d'activité et de bureaux, avec 300 m² d'activités et 110m² de bureaux. Récemment rénovés, ils sont équipés de la climatisation, d'un éclairage LED, du Tarif bleu : 3
                          Professionnel Publié il y a plus de 7 jours Non géolocalisée
                          Massy Parking
                          • Local d'activités - 410 m²
                          • Local d'activités - 410 m²
                          • Local d'activités - 410 m²
                          • Local d'activités - 410 m²
                          • Local d'activités - 410 m²
                          • Local d'activités - 410 m² Cliquez pour voir les 11 photos

                          Local d'activités - 410 m²

                          4 613 € / mois
                          My Transac vous propose à la location 2 lots d'activité de 410 et 820m² à Massy ZA de la Bonde Prestations : Bâtiment indépendant, situé sur un site clos et sécurisé, mettant à disposition deux lots à usage mixte d'activité et de bureaux, avec 300 m² d'activités et 110m² de bureaux. Récemment rénovés, ils sont équipés de la climatisation, d'un éclairage LED, du Tarif bleu : 3
                          Professionnel Publié il y a plus de 7 jours Non géolocalisée
                          Massy Parking
                          • Local d'activités - 820 m²
                          • Local d'activités - 820 m²
                          • Local d'activités - 820 m²
                          • Local d'activités - 820 m²
                          • Local d'activités - 820 m²
                          • Local d'activités - 820 m² Cliquez pour voir les 13 photos

                          Local d'activités - 820 m²

                          4 613 € / mois
                          My Transac vous propose à la location 2 lots d'activité de 410 et 820m² à Massy ZA de la Bonde Prestations : Bâtiment indépendant, situé sur un site clos et sécurisé, mettant à disposition deux lots à usage mixte d'activité et de bureaux, avec 300 m² d'activités et 110m² de bureaux. Récemment rénovés, ils sont équipés de la climatisation, d'un éclairage LED, du Tarif bleu : 3
                          Professionnel Publié il y a plus de 7 jours Non géolocalisée
                          Massy Parking
                          • Local d'activités - 410 m²
                          • Local d'activités - 410 m²
                          • Local d'activités - 410 m²
                          • Local d'activités - 410 m²
                          • Local d'activités - 410 m²
                          • Local d'activités - 410 m² Cliquez pour voir les 11 photos

                          Local d'activités - 410 m²

                          4 613 € / mois
                          My Transac vous propose à la location 2 lots d'activité de 410 et 820m² à Massy ZA de la Bonde Prestations : Bâtiment indépendant, situé sur un site clos et sécurisé, mettant à disposition deux lots à usage mixte d'activité et de bureaux, avec 300 m² d'activités et 110m² de bureaux. Récemment rénovés, ils sont équipés de la climatisation, d'un éclairage LED, du Tarif bleu : 3
                          Professionnel Publié il y a plus de 7 jours Non géolocalisée
                          Massy Parking
                          • Local d'activités - 820 m²
                          • Local d'activités - 820 m²
                          • Local d'activités - 820 m²
                          • Local d'activités - 820 m²
                          • Local d'activités - 820 m²
                          • Local d'activités - 820 m² Cliquez pour voir les 20 photos

                          Local d'activités - 820 m²

                          9 567 € / mois
                          My Transac vous propose des locaux d'activités et de bureaux au sein du Quartier de MASSY ATLANTIS, idéalement située à proximité de l'axe A10 et A6. Le pôle Gare RER B et C /TGV est directement accessible à pied ou en bus. Nombreux commerces et solutions de restauration à proximité immédiate Prestations : Parc clos et sécurisé, Restaurant et salle de sport/escalade sur sit
                          Professionnel Publié il y a plus de 7 jours Non géolocalisée
                          Massy Parking
                          1

                          Location de bien immobilier pour professionnels à Châtenay-Malabry

                          (2.9 km)
                          • Local commercial - 69 m²
                          • Local commercial - 69 m²
                          • Local commercial - 69 m²

                          Local commercial - 69 m²

                          2 083 € HT / mois
                          Local commercial situé au rez-de-chaussée d'une résidence composée de 93 appartements qui affiche un style résolument contemporain et urbain. Un cadre verdoyant et ressourçant à proximité, avec la présence des parcs de Sceaux, Henri Scellier et de la Vallée aux Loups, ainsi que de la forêt domaniale de Verrières. Nombreux commerces voisins : brasserie, restaurant, boulangerie,
                          Professionnel Publié il y a plus de 7 jours
                          Châtenay-Malabry Parking
                          2

                          Locations de biens immobiliers pour professionnels à Antony

                          (3 km)
                          • Local commercial - 96 m²
                          • Local commercial - 96 m²
                          • Local commercial - 96 m²
                          • Local commercial - 96 m²
                          • Local commercial - 96 m²
                          • Local commercial - 96 m² Cliquez pour voir les 6 photos

                          Local commercial - 96 m²

                          2 507 € / mois
                          Antony centre, sur nationale 20 avec belle façade, local tous commerces (sauf alimentation), bail 3/6/9. 97m² comprenant boutique, arrière boutique, deux réserves et WC. Bon état, accès PMR, clim réversible. Loyer 2507 € / mois charges comprises.
                          Professionnel Publié il y a plus de 7 jours
                          Antony
                          • Entrepôt - 1 504 m²
                          • Entrepôt - 1 504 m²
                          • Entrepôt - 1 504 m²
                          • Entrepôt - 1 504 m²
                          • Entrepôt - 1 504 m²
                          • Entrepôt - 1 504 m² Cliquez pour voir les 14 photos

                          Entrepôt - 1 504 m²

                          13 786 € / mois
                          LE CABINET GHT IMMO VOUS PROPOSE : À la location, un entrepôt de 1349 m² avec 155 m² de bureaux. Des racks sont disponibles et restent dans l'entrepôt. Superficie de l'entrepôt : 1349 m² Superficie des bureaux : 155 m² Racks disponibles dans l'entrepôt Quais de chargement : 5 Places de parking : 10 Accès pour semi-remorques Hauteur sous plafond (HSP) : 8 mètres Accès routier
                          Professionnel Publié il y a plus de 7 jours Non géolocalisée
                          Antony Parking
                          1

                          Location de bien immobilier pour professionnels à Igny

                          (3.4 km)
                          • Bureau - 64 m²
                          • Bureau - 64 m²
                          • Bureau - 64 m²

                          Bureau - 64 m²

                          811 € / mois
                          GHT IMMO vous propose un bureau de 64 m², offrant un espace de travail fonctionnel, lumineux et parfaitement adapté aux besoins des entreprises et professions libérales. Ce bureau dispose d'une surface confortable permettant une organisation flexible . Situé dans un bâtiment bien entretenu, il bénéficie d'un environnement professionnel agréable et de charges maîtrisées. Une s
                          Professionnel Publié il y a plus de 7 jours Non géolocalisée
                          Igny
                          1

                          Location de bien immobilier pour professionnels au Plessis-Robinson

                          (3.8 km)
                          • Local commercial - 60 m²
                          • Local commercial - 60 m²
                          • Local commercial - 60 m²
                          • Local commercial - 60 m²

                          Local commercial - 60 m²

                          2 650 € / mois
                          Local d'environ 60m² situé dans la Cité Jardin. Ancienne poissonnerie. Loyer mensuel : 2 500 euros HT Provisions pour charges : 150 euros HT Dépôt de garantie : 7 500 euros Pas de porte / Droit au bail : 40 000 euros Honoraires d'agence charge preneur : 6 000 euros TTC + rédaction du bail 3 000 euros TTC
                          Professionnel Publié il y a plus de 7 jours Non géolocalisée
                          Le Plessis-Robinson
                          5

                          Locations de biens immobiliers pour professionnels à Palaiseau

                          (3.9 km)
                          • Local commercial - 120 m² - 4 pièces
                          • Local commercial - 120 m² - 4 pièces
                          • Local commercial - 120 m² - 4 pièces
                          • Local commercial - 120 m² - 4 pièces
                          • Local commercial - 120 m² - 4 pièces
                          • Local commercial - 120 m² - 4 pièces Cliquez pour voir les 14 photos

                          Local commercial - 120 m² - 4 pièces

                          2 800 € / mois
                          Situé proche du centre de Palaiseau, Local commercial / professionnel situé au Rdc d'un petit immeuble récent, d'une surface de 120m² + 40m² de cour privative, se composant ainsi : grande pièce principale de 83m² (possibilité de cloisonner), wc de 4m², cuisine de 18m², pièce arrière de rangement de 6m², salle de douche avec wc de 4m², entrée de 3m², et une cour privative fermée
                          Professionnel Publié il y a plus de 7 jours Non géolocalisée
                          Palaiseau Terrasse Exposition Sud
                          Bureau - 45 m² - 3 pièces

                          Bureau - 45 m² - 3 pièces

                          1 300 € HT / mois
                          À 10 Min du RER station Palaiseau Villebon et à proximité des principaux axes routiers, dans une maison individuelle avec entrée indépendante à Palaiseau, EI Immobilier vous propose une surface de bureaux de 44,70 m², située au 1er étage avec un garage en Rdc de 26 m². Le quartier, qui est pavillonnaire, assure un environnement de travail calme. Honoraires de 3 744 € à la char
                          Professionnel Publié il y a plus de 7 jours
                          Palaiseau 1er étage Parking
                          • Entrepôt - 2 596 m²
                          • Entrepôt - 2 596 m²
                          • Entrepôt - 2 596 m²
                          • Entrepôt - 2 596 m²
                          • Entrepôt - 2 596 m²
                          • Entrepôt - 2 596 m² Cliquez pour voir les 12 photos

                          Entrepôt - 2 596 m²

                          41 319 € / mois
                          Le Cabinet GHT IMMO vous propose : à la location un local d'activité de 2596 m2 situé à Palaiseau. Entrepôt de 1 668 m² 6 m HSP Mezzanine de 200 m² résistance au sol de 2T/m². Site clos. 25 places de parkingnGHT IMMO - 01 48 93 81 23 - Plus d'informations sur www.ghtimmo.fr (réf. 9400410078)
                          Professionnel Publié il y a plus de 7 jours Non géolocalisée
                          Palaiseau Parking
                          • Entrepôt - 55 m²
                          • Entrepôt - 55 m²
                          • Entrepôt - 55 m²
                          • Entrepôt - 55 m²

                          Entrepôt - 55 m²

                          750 € / mois
                          Entrepôt à louer – Palaiseau avec quai de déchargement Entrepôt fonctionnel avec quai de déchargement, rampe d'accès et parking dédié. Hauteur sous plafond d'environ 3 mètres, idéale pour le stockage de palettes ou matériel industriel. Sanitaires et douches communes disponibles sur site. Charges : forfait de 200 €/mois (eau, taxe foncière, copropriété). Électricité en sus Bi
                          Professionnel Publié il y a plus de 7 jours Non géolocalisée
                          Palaiseau
                          • Entrepôt - 6 871 m²
                          • Entrepôt - 6 871 m²
                          • Entrepôt - 6 871 m²
                          • Entrepôt - 6 871 m²

                          Entrepôt - 6 871 m²

                          62 004 € / mois
                          DL Real Estate vous propose plusieurs cellules à louer dans un parc clos, idéalement situé à proximité de l'A10.Une première cellule sera disponible au 1er trimestre 2026.
                          Professionnel Publié il y a plus de 7 jours Non géolocalisée
                          Palaiseau Parking
                          2

                          Locations de biens immobiliers pour professionnels à Bièvres

                          (3.9 km)
                          • Bureau - 297 m²
                          • Bureau - 297 m²
                          • Bureau - 297 m²
                          • Bureau - 297 m²
                          • Bureau - 297 m²
                          • Bureau - 297 m² Cliquez pour voir les 9 photos

                          Bureau - 297 m²

                          3 989 € / mois
                          A Louer 51 Immo vous propose à la location une surface de bureaux de 300m², situé à Burospace - Bièvres. Entièrement rénové et climatisé, cet espace dispose de cloisons amovibles pouvant s'adapter à vos besoins. Actuellement, les bureaux sont composés comme suit : ? 1 bureau de direction avec douche ? 1 zone collective / cuisine ? 7 bureaux individuels ? 1 salle de réunion ave
                          Professionnel Publié le 16 avril à 13:27
                          Bièvres 1er étage Parking
                          • Bureau - 297 m²
                          • Bureau - 297 m²
                          • Bureau - 297 m²
                          • Bureau - 297 m²
                          • Bureau - 297 m²
                          • Bureau - 297 m² Cliquez pour voir les 11 photos

                          Bureau - 297 m²

                          4 331 € / mois
                          A Louer 51 Immo vous propose à la location une surface de bureaux de 300m², situé à Burospace - Bièvres. Entièrement rénové et climatisé, cet espace dispose de cloisons amovibles pouvant s'adapter à vos besoins. Actuellement, les bureaux sont composés comme suit : 1 salle d'accueil 1 salle de réunion 7 bureaux  3 salles open space 3 zones techniques / stockage 1 bureau de d
                          Professionnel Publié le 16 avril à 13:27
                          Bièvres 1er étage Parking
                          1

                          Location de bien immobilier pour professionnels à Sceaux

                          (4.1 km)
                          • Local d'activités - 41 m² - 2 pièces
                          • Local d'activités - 41 m² - 2 pièces
                          • Local d'activités - 41 m² - 2 pièces
                          • Local d'activités - 41 m² - 2 pièces
                          • Local d'activités - 41 m² - 2 pièces
                          • Local d'activités - 41 m² - 2 pièces Cliquez pour voir les 9 photos

                          Local d'activités - 41 m² - 2 pièces

                          1 280 € HT / mois
                          Votre agence immobilière LOGIS CONSEIL Châtenay-Malabry vous propose RUE DES ECOLES, au coeur du vieux centre-ville de SCEAUX ! A 2 pas de la rue piétonne. Un local professionnel de 40.34 m² offrant : une entrée, une salle de consultation avec point d'eau/cuisine, une salle d'attente, une salle d'eau et un wc séparé. Honoraires et taxe foncière à la charge du Preneur. Loyer no
                          Professionnel Publié il y a plus de 7 jours
                          Sceaux Parking
                          2

                          Locations de biens immobiliers pour professionnels à Champlan

                          (4.3 km)
                          • Bureau - 54 m² - 3 pièces
                          • Bureau - 54 m² - 3 pièces
                          • Bureau - 54 m² - 3 pièces
                          • Bureau - 54 m² - 3 pièces

                          Bureau - 54 m² - 3 pièces

                          972 € / mois
                          CHAMPLAN, Bureau à louer d'une superficie de 54,38 m² bénéficiant d'une salle de réunion et d'un espace cuisine/réfectoire communs. Les locaux sont équipés de climatisation réversible et du Wifi. Les charges intègrent l'ensemble des dépenses : Chauffage, Electricité, Eau, Internet et Taxe Foncière Pour d'autres surfaces nous contacter. Les locaux bénéficient de la proximité d
                          Professionnel Publié il y a plus de 7 jours
                          Champlan 1er étage Parking
                          • Bureau - 36 m² - 1 pièce
                          • Bureau - 36 m² - 1 pièce
                          • Bureau - 36 m² - 1 pièce
                          • Bureau - 36 m² - 1 pièce

                          Bureau - 36 m² - 1 pièce

                          746 € / mois
                          CHAMPLAN, Bureau à louer d'une superficie globale de 36,28 m² bénéficiant d'une salle de réunion et d'un espace cuisine/réfectoire communs. Les locaux sont équipés de climatisation réversible et du Wifi. Les charges intègrent l'ensemble des dépenses : Chauffage, Electricité, Eau, Internet et Taxe Foncière Pour d'autres surfaces nous contacter. Les locaux bénéficient de la p
                          Professionnel Publié il y a plus de 7 jours
                          Champlan 1er étage Parking
                          2

                          Locations de biens immobiliers pour professionnels à Fresnes

                          (4.5 km)
                          Local commercial - 125 m²

                          Local commercial - 125 m²

                          Situé au cœur du parc d’activités INNOVESPACE à Fresnes, cet ensemble neuf propose un total de 9 764 m² de locaux d’activités et de bureaux en mezzanine. Le site, clos et sécurisé, offre des accès par portail, des espaces verts aménagés et une voirie lourde. Les locaux d’activités bénéficient de prestations de qualité : sols en béton traité quartz, hauteur sous plafond de 4,5 m
                          Professionnel Publié il y a plus de 7 jours
                          Fresnes Parking
                          • Entrepôt - 1 831 m²
                          • Entrepôt - 1 831 m²
                          • Entrepôt - 1 831 m²
                          • Entrepôt - 1 831 m²
                          • Entrepôt - 1 831 m²

                          Entrepôt - 1 831 m²

                          22 124 € / mois
                          LE CABINET GHT IMMO VOUS PROPOSE : EN ZONE D ACTIVITE UN ENTREPOT DE COPROPRIETE DE 1831 M2 BUREAUX : 1182 M² STOCKAGE 649 M2 5.8M HAUTEUR SOUS PLAFOND LOYER: 145€/HT/HC/AN/M2 CHARGES A DEFINIR TAXE FONCIERE A DEFINIR GHT IMMO - 01 48 93 81 23 - Plus d'informations sur www.ghtimmo.fr 13/15 RUE CHEVREUL MAISONS ALFORT (réf. 940045960) 64 AV. GAMBETTA MAISONS ALFORTnGHT IMMO - 0
                          Professionnel Publié il y a plus de 7 jours Non géolocalisée
                          Fresnes
                          32

                          Locations de biens immobiliers pour professionnels à Wissous

                          (4.8 km)
                          • Local d'activités - 641 m²
                          • Local d'activités - 641 m²
                          • Local d'activités - 641 m²
                          • Local d'activités - 641 m²
                          • Local d'activités - 641 m²
                          • Local d'activités - 641 m² Cliquez pour voir les 6 photos

                          Local d'activités - 641 m²

                          8 814 € / mois
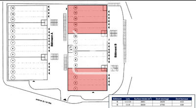
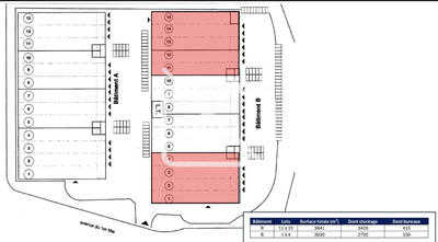
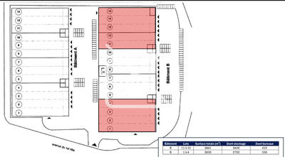
                          My Transac vous propose à la location des locaux d'activités neufs à Wissous de 637m² à 1 937m² Deux bâtiments d'activités en cours de développement, sur site clos et sécurisé offre une surface totale de 9 500 m². Divisés en neuf cellules allant de 637 m² à 1 637 m², comprenant toutes des espaces d'activités et de bureaux sur deux niveaux. Prestations : - Hauteur-sous-poutre
                          Professionnel Publié il y a plus de 7 jours Non géolocalisée
                          Wissous Parking
                          • Local d'activités - 640 m²
                          • Local d'activités - 640 m²
                          • Local d'activités - 640 m²
                          • Local d'activités - 640 m²
                          • Local d'activités - 640 m²
                          • Local d'activités - 640 m² Cliquez pour voir les 6 photos

                          Local d'activités - 640 m²

                          8 800 € / mois
                          My Transac vous propose à la location des locaux d'activités neufs à Wissous de 637m² à 1 937m² Deux bâtiments d'activités en cours de développement, sur site clos et sécurisé offre une surface totale de 9 500 m². Divisés en neuf cellules allant de 637 m² à 1 637 m², comprenant toutes des espaces d'activités et de bureaux sur deux niveaux. Prestations : - Hauteur-sous-poutre
                          Professionnel Publié il y a plus de 7 jours Non géolocalisée
                          Wissous Parking
                          • Local d'activités - 638 m²
                          • Local d'activités - 638 m²
                          • Local d'activités - 638 m²
                          • Local d'activités - 638 m²
                          • Local d'activités - 638 m²
                          • Local d'activités - 638 m² Cliquez pour voir les 7 photos

                          Local d'activités - 638 m²

                          8 773 € / mois
                          My Transac vous propose à la location des locaux d'activités neufs à Wissous de 637m² à 1 937m² Deux bâtiments d'activités en cours de développement, sur site clos et sécurisé offre une surface totale de 9 500 m². Divisés en neuf cellules allant de 637 m² à 1 637 m², comprenant toutes des espaces d'activités et de bureaux sur deux niveaux. Prestations : - Hauteur-sous-poutre
                          Professionnel Publié il y a plus de 7 jours Non géolocalisée
                          Wissous Parking
                          • Local d'activités - 1 837 m²
                          • Local d'activités - 1 837 m²
                          • Local d'activités - 1 837 m²
                          • Local d'activités - 1 837 m²
                          • Local d'activités - 1 837 m²
                          • Local d'activités - 1 837 m² Cliquez pour voir les 7 photos

                          Local d'activités - 1 837 m²

                          25 259 € / mois
                          My Transac vous propose à la location des locaux d'activités neufs à Wissous de 637m² à 1 937m² Deux bâtiments d'activités en cours de développement, sur site clos et sécurisé offre une surface totale de 9 500 m². Divisés en neuf cellules allant de 637 m² à 1 637 m², comprenant toutes des espaces d'activités et de bureaux sur deux niveaux. Prestations : - Hauteur-sous-poutre
                          Professionnel Publié il y a plus de 7 jours Non géolocalisée
                          Wissous Parking
                          • Local d'activités - 1 937 m²
                          • Local d'activités - 1 937 m²
                          • Local d'activités - 1 937 m²
                          • Local d'activités - 1 937 m²
                          • Local d'activités - 1 937 m²
                          • Local d'activités - 1 937 m² Cliquez pour voir les 7 photos

                          Local d'activités - 1 937 m²

                          26 634 € / mois
                          My Transac vous propose à la location des locaux d'activités neufs à Wissous de 637m² à 1 937m² Deux bâtiments d'activités en cours de développement, sur site clos et sécurisé offre une surface totale de 9 500 m². Divisés en neuf cellules allant de 637 m² à 1 637 m², comprenant toutes des espaces d'activités et de bureaux sur deux niveaux. Prestations : - Hauteur-sous-poutre
                          Professionnel Publié il y a plus de 7 jours Non géolocalisée
                          Wissous Parking
                          5

                          Locations de biens immobiliers pour professionnels à Fontenay-aux-Roses

                          (5.1 km)
                          • Local commercial - 99 m²
                          • Local commercial - 99 m²
                          • Local commercial - 99 m²
                          • Local commercial - 99 m²
                          • Local commercial - 99 m²

                          Local commercial - 99 m²

                          1 950 € / mois
                          Louer un local commercial avec 2 espaces une pièce au rdc sur rue avec vitrine, et une espace au sous sol avec WC et Kitchenette. N'hésitez pas à contacter si vous souhaitez plus d'informations. Loyer : 1 800 euros mensuels. Dépôt de garantie : 4 500 EUR. Bien présenté par Agences de France par délégation. Agences de France – SIREN : 899413603 – Titulaire de la carte T : 29012
                          Professionnel Publié il y a plus de 7 jours
                          Fontenay-aux-Roses
                          • Local commercial - 99 m²
                          • Local commercial - 99 m²
                          • Local commercial - 99 m²
                          • Local commercial - 99 m²
                          • Local commercial - 99 m²

                          Local commercial - 99 m²

                          1 950 € / mois
                          Louer un local commercial avec 2 espaces une pièce au rdc sur rue avec vitrine, et une espace au sous sol avec WC et Kitchenette. N'hésitez pas à contacter Ometim si vous souhaitez plus d'informations. Loyer : 1 800 euros mensuels. Dépôt de garantie : 4 500 EUR.
                          Professionnel Publié il y a plus de 7 jours
                          Fontenay-aux-Roses Parking
                          • Local commercial - 45 m²
                          • Local commercial - 45 m²
                          • Local commercial - 45 m²
                          • Local commercial - 45 m²
                          • Local commercial - 45 m²
                          • Local commercial - 45 m² Cliquez pour voir les 7 photos

                          Local commercial - 45 m²

                          1 161 € HT / mois
                          Le programme Villa Fontana est situé en plein coeur de ville, avec une commercialité déjà assurée par la présence de commerces de proximité et d'animation (Franprix, Pharmacie, Restaurant et épicerie italienne, bureau de tabac, salon de coiffure, ...) Le programme est composé d'environ 50 appartements et de 3 commerces. La place de La Cavée réhabilitée crée une nouvelle central
                          Professionnel Publié il y a plus de 7 jours
                          Fontenay-aux-Roses Parking
                          • Local commercial - 92 m²
                          • Local commercial - 92 m²
                          • Local commercial - 92 m²
                          • Local commercial - 92 m²
                          • Local commercial - 92 m²
                          • Local commercial - 92 m² Cliquez pour voir les 7 photos

                          Local commercial - 92 m²

                          2 343 € HT / mois
                          Le programme Villa Fontana est situé en plein coeur de ville, avec une commercialité déjà assurée par la présence de commerces de proximité et d'animation (Franprix, Pharmacie, Restaurant et épicerie italienne, bureau de tabac, salon de coiffure, ...) Le programme est composé d'environ 50 appartements et de 3 commerces. La place de La Cavée réhabilitée crée une nouvelle central
                          Professionnel Publié il y a plus de 7 jours
                          Fontenay-aux-Roses Parking
                          • Local commercial - 150 m²
                          • Local commercial - 150 m²
                          • Local commercial - 150 m²
                          • Local commercial - 150 m²
                          • Local commercial - 150 m²
                          • Local commercial - 150 m² Cliquez pour voir les 7 photos

                          Local commercial - 150 m²

                          3 844 € HT / mois
                          Le programme Villa Fontana est situé en plein coeur de ville, avec une commercialité déjà assurée par la présence de commerces de proximité et d'animation (Franprix, Pharmacie, Restaurant et épicerie italienne, bureau de tabac, salon de coiffure, ...) Le programme est composé d'environ 50 appartements et de 3 commerces. La place de La Cavée réhabilitée crée une nouvelle central
                          Professionnel Publié il y a plus de 7 jours
                          Fontenay-aux-Roses Parking

                          Location de biens immobiliers pour professionnels à Verrières-le-Buisson. Toutes les ventes immobilières à Verrières-le-Buisson et aux environs.

                          Recherche en cours...
                          Rechercher dans cette zone