Retour
Rechercher
Lieu
Où ?
    Type de bien
    Quel type de projet ?
    Particulier Entreprise
    Quel type de bien ?
        Prix
        Quel budget ?
              Surface
              Quelle surface ?
                    Pièces
                    Combien de pièces ?
                      Combien de chambres ?
                          37

                          Ventes de terrains à Pia

                          Recherche 37
                          Carte
                          • Terrain - 330 m²
                          • Terrain - 330 m²
                          • Terrain - 330 m²

                          Terrain - 330 m²

                          102 000 €
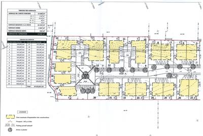
                          Iad France - David Giralt vous propose : Nouveauté TERRAIN PIA Lotissement « Quercus Garden » Meme prix que avec les lotisseurs opportunité à saisir, je vous envoie par mail le plan du lotissement, les parcelles disponibles ainsi que le règlement du lotissement, afin de vous positionner dessus. Immobilisation de la parcelle = 1000e 31 Terrains constructibles de 301 m² à 409 m².
                          Professionnel Publié il y a plus de 7 jours
                          Pia
                          Terrain - 850 m²

                          Terrain - 850 m²

                          182 000 €
                          Iad France - Jonathan Vanella vous propose : À VENDRE – Terrain viabilisé 850 m² – Libre de tout constructeur Découvrez ce beau terrain viabilisé de 889 m², idéalement situé dans un environnement calme et recherché. ✔️ Libre de tout constructeur : vous choisissez entièrement votre projet. ✔️ 30 % d’emprise au sol : parfait pour une villa 4 faces spacieuse. ✔️ Terrain plat, faci
                          Professionnel Publié il y a plus de 7 jours
                          Pia
                          • Terrain - 384 m²
                          • Terrain - 384 m²
                          • Terrain - 384 m²
                          • Terrain - 384 m²
                          • Terrain - 384 m²

                          Terrain - 384 m²

                          123 000 €
                          Iad France - David Giralt vous propose : Nouveauté TERRAIN PIA Lotissement « le STANDING « Opportunité à saisir, je vous envoie par mail le plan du lotissement, les parcelles disponibles ainsi que le règlement du lotissement, afin de vous positionner dessus. Immobilisation de la parcelle = 1000e 30 Terrains constructibles de 229 m² à 472 m². DE 315e / M2 à 353e / M2 Magnifique
                          Professionnel Publié il y a plus de 7 jours
                          Pia
                          • Terrain - 313 m²
                          • Terrain - 313 m²
                          • Terrain - 313 m²

                          Terrain - 313 m²

                          91 000 €
                          Iad France - David Giralt vous propose : Nouveauté TERRAIN PIA Lotissement « Quercus Garden » Meme prix que avec les lotisseurs opportunité à saisir, je vous envoie par mail le plan du lotissement, les parcelles disponibles ainsi que le règlement du lotissement, afin de vous positionner dessus. Immobilisation de la parcelle = 1000e 31 Terrains constructibles de 301 m² à 409 m².
                          Professionnel Publié il y a plus de 7 jours
                          Pia
                          • Terrain - 306 m²
                          • Terrain - 306 m²
                          • Terrain - 306 m²

                          Terrain - 306 m²

                          89 000 €
                          Iad France - David Giralt vous propose : Nouveauté TERRAIN PIA Lotissement « Quercus Garden » Meme prix que avec les lotisseurs opportunité à saisir, je vous envoie par mail le plan du lotissement, les parcelles disponibles ainsi que le règlement du lotissement, afin de vous positionner dessus. Immobilisation de la parcelle = 1000e 31 Terrains constructibles de 301 m² à 409 m².
                          Professionnel Publié il y a plus de 7 jours
                          Pia
                          • Terrain - 401 m²
                          • Terrain - 401 m²
                          • Terrain - 401 m²

                          Terrain - 401 m²

                          96 000 €
                          Iad France - David Giralt vous propose : Nouveauté TERRAIN PIA Lotissement « Quercus Garden » Meme prix que avec les lotisseurs opportunité à saisir, je vous envoie par mail le plan du lotissement, les parcelles disponibles ainsi que le règlement du lotissement, afin de vous positionner dessus. Immobilisation de la parcelle = 1000e 31 Terrains constructibles de 301 m² à 409 m².
                          Professionnel Publié il y a plus de 7 jours
                          Pia
                          • Terrain constructible - 889 m²
                          • Terrain constructible - 889 m²

                          Terrain constructible - 889 m²

                          189 000 €
                          TERRAIN 889m² Lot BB viabilisé Belle parcelle en 4 faces dans un quartier de qualité sans vis à vis, pouvant accueillir un plain pied de préférence en construction libre avec limite séparative de 5m en RT2020 avec Toit plat. Pour la construction, si vous le souhaitez je vous invite à me contacter pour la mise en relation avec le constructeur et les honoraires. Pour plus d'i
                          Professionnel Publié il y a plus de 7 jours
                          Pia
                          Terrain - 889 m²

                          Terrain - 889 m²

                          189 000 €
                          Iad France - Jonathan Vanella vous propose : Terrain viabilisé 889 m² – Libre de tout constructeur Découvrez ce beau terrain viabilisé de 889 m², idéalement situé dans un environnement calme et recherché. Libre de tout constructeur : vous choisissez entièrement votre projet. 30 % d’emprise au sol : parfait pour une villa 4 faces spacieuse. Terrain plat, facile à aménager, offra
                          Professionnel Publié il y a plus de 7 jours
                          Pia
                          Terrain - 691 m²

                          Terrain - 691 m²

                          162 000 €
                          Iad France - Jonathan Vanella vous propose : Terrain viabilisé 691 m² – Libre de tout constructeur Découvrez ce beau terrain viabilisé de 889 m², idéalement situé dans un environnement calme et recherché. Libre de tout constructeur : vous choisissez entièrement votre projet. 30 % d’emprise au sol : parfait pour une villa 4 faces spacieuse. Terrain plat, facile à aménager, offra
                          Professionnel Publié il y a plus de 7 jours
                          Pia
                          Terrain - 679 m²

                          Terrain - 679 m²

                          159 000 €
                          Iad France - Jonathan Vanella vous propose : Terrain viabilisé 679 m² – Libre de tout constructeur Découvrez ce beau terrain viabilisé de 889 m², idéalement situé dans un environnement calme et recherché. Libre de tout constructeur : vous choisissez entièrement votre projet. 30 % d’emprise au sol : parfait pour une villa 4 faces spacieuse. Terrain plat, facile à aménager, offra
                          Professionnel Publié il y a plus de 7 jours
                          Pia
                          • Terrain constructible - 850 m²
                          • Terrain constructible - 850 m²
                          • Terrain constructible - 850 m²

                          Terrain constructible - 850 m²

                          182 000 €
                          TERRAIN 850m² PIA Lot BB viabilisé Belle parcelle en 4 faces dans un quartier de qualité sans vis à vis, pouvant accueillir un plain pied de préférence en construction libre avec une limite séparative de 5m en RT2020 Toit plat. Pour la construction, si vous le souhaitez je vous invite à me contacter pour la mise en relation avec le constructeur et les honoraires. Pour plus d
                          Professionnel Publié il y a plus de 7 jours
                          Pia
                          • Terrain - 338 m²
                          • Terrain - 338 m²
                          • Terrain - 338 m²
                          • Terrain - 338 m²
                          • Terrain - 338 m²

                          Terrain - 338 m²

                          111 000 €
                          Iad France - David Giralt vous propose : Nouveauté TERRAIN PIA Lotissement « le STANDING « Opportunité à saisir, je vous envoie par mail le plan du lotissement, les parcelles disponibles ainsi que le règlement du lotissement, afin de vous positionner dessus. Immobilisation de la parcelle = 1000e 30 Terrains constructibles de 229 m² à 472 m². DE 315e / M2 à 353e / M2 Magnifique
                          Professionnel Publié il y a plus de 7 jours
                          Pia
                          • Terrain - 472 m²
                          • Terrain - 472 m²
                          • Terrain - 472 m²
                          • Terrain - 472 m²
                          • Terrain - 472 m²
                          • Terrain - 472 m² Cliquez pour voir les 6 photos

                          Terrain - 472 m²

                          149 000 €
                          Iad France - David Giralt vous propose : Nouveauté TERRAIN PIA Lotissement « le STANDING « Opportunité à saisir, je vous envoie par mail le plan du lotissement, les parcelles disponibles ainsi que le règlement du lotissement, afin de vous positionner dessus. Immobilisation de la parcelle = 1000e 30 Terrains constructibles de 229 m² à 472 m². DE 315e / M2 à 353e / M2 Magnifique
                          Professionnel Publié il y a plus de 7 jours
                          Pia
                          • Terrain - 366 m²
                          • Terrain - 366 m²
                          • Terrain - 366 m²
                          • Terrain - 366 m²
                          • Terrain - 366 m²

                          Terrain - 366 m²

                          118 000 €
                          Iad France - David Giralt vous propose : Nouveauté TERRAIN PIA Lotissement « le STANDING « Opportunité à saisir, je vous envoie par mail le plan du lotissement, les parcelles disponibles ainsi que le règlement du lotissement, afin de vous positionner dessus. Immobilisation de la parcelle = 1000e 30 Terrains constructibles de 229 m² à 472 m². DE 315e / M2 à 353e / M2 Magnifique
                          Professionnel Publié il y a plus de 7 jours
                          Pia
                          • Terrain - 320 m²
                          • Terrain - 320 m²
                          • Terrain - 320 m²
                          • Terrain - 320 m²
                          • Terrain - 320 m²
                          • Terrain - 320 m² Cliquez pour voir les 6 photos

                          Terrain - 320 m²

                          106 000 €
                          Iad France - David Giralt vous propose : Nouveauté TERRAIN PIA Lotissement « le STANDING « Opportunité à saisir, je vous envoie par mail le plan du lotissement, les parcelles disponibles ainsi que le règlement du lotissement, afin de vous positionner dessus. Immobilisation de la parcelle = 1000e 30 Terrains constructibles de 229 m² à 472 m². DE 315e / M2 à 353e / M2 Magnifique
                          Professionnel Publié il y a plus de 7 jours
                          Pia
                          • Terrain - 1 300 m²
                          • Terrain - 1 300 m²
                          • Terrain - 1 300 m²
                          • Terrain - 1 300 m²
                          • Terrain - 1 300 m²
                          • Terrain - 1 300 m² Cliquez pour voir les 6 photos

                          Terrain - 1 300 m²

                          244 000 €
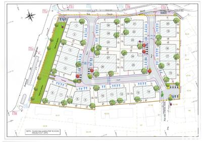
                          A Pia, nouveauté! Terrain 4 faces constructible de 1300 m² environ Viabilisé, arboré, clôturé avec portail Compteur électrique et compteur d'eau installés Dépendances avec garage et Piscine Cuisine d'été couverte avec barbecue Emprise au sol possible 30 % du COS soit 390 m² Exposé plein sud Pas de vis à vis Cette annonce référence 306539 vous est présentée par votre agent comm
                          Professionnel Publié il y a plus de 7 jours
                          Pia
                          • Terrain - 860 m²
                          • Terrain - 860 m²
                          • Terrain - 860 m²
                          • Terrain - 860 m²

                          Terrain - 860 m²

                          169 000 €
                          Sur la commune de PIA, Rare terrain à bâtir en zone artisanale d'une superficie de 860 m². - Permis de construire pour habitation déposé (modifiable) - Terrain viabilisé - Exposition Nord / SUD Me contactez pour plus de renseignements. Les informations sur les risques auxquels ce bien est exposé sont disponibles sur le site Géorisques : www.georisques.gouv.fr Prix de vente : 16
                          Professionnel Publié il y a plus de 7 jours
                          Pia
                          • Terrain - 562 m²
                          • Terrain - 562 m²
                          • Terrain - 562 m²

                          Terrain - 562 m²

                          140 000 €
                          Iad France - Marie Helene Duteil vous propose : À VENDRE – Beau terrain constructible de 562 m² Découvrez ce terrain idéalement situé pour concrétiser votre projet de construction. D’une superficie totale de 562 m², ce terrain bénéficie d’un coefficient d’emprise au sol de 0,30, vous permettant de construire jusqu’à 168 m² au sol. Selon le règlement du PLU, il sera également po
                          Professionnel Publié il y a plus de 7 jours
                          Pia
                          • Terrain - 562 m²
                          • Terrain - 562 m²
                          • Terrain - 562 m²

                          Terrain - 562 m²

                          140 000 €
                          Iad France - Marie Helene Duteil vous propose : Opportunité Rare - Terrain à Bâtir de 562 m² à Pia, Idéal pour Projet personnel Voici une opportunité unique à ne pas manquer pour ceux qui rêvent de construire leur propre maison. Situé à Pia, ce terrain à bâtir de 562 m² offre un potentiel de construction infini pour concrétiser votre projet de vie. Ce terrain, parfaitement plat
                          Professionnel Publié il y a plus de 7 jours
                          Pia
                          • Terrain - 1 553 m²
                          • Terrain - 1 553 m²
                          • Terrain - 1 553 m²
                          • Terrain - 1 553 m²
                          • Terrain - 1 553 m²
                          • Terrain - 1 553 m² Cliquez pour voir les 7 photos

                          Terrain - 1 553 m²

                          209 000 €
                          Iad France - David Giralt vous propose : Nouveauté EXCLUSIVITÉ TERRAIN PIA Adresse Rue du Mas Provedo PIA 66380 1 parcelle de 1553 m² au total comprenant l'accès. Magnifique parcelle en 4 faces pas viabilisée devis en cours sur 45m de long sans vis à vis exposée plein sud. Construction à 5m des clôtures déjà existantes Emprise au sol possible 30% du COS donc 465 m² de surface a
                          Professionnel Publié il y a plus de 7 jours
                          Pia
                          • Terrain - 354 m²
                          • Terrain - 354 m²
                          • Terrain - 354 m²
                          • Terrain - 354 m²
                          • Terrain - 354 m²
                          • Terrain - 354 m² Cliquez pour voir les 6 photos

                          Terrain - 354 m²

                          113 000 €
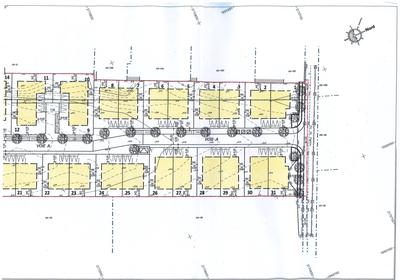
                          PIA - Parcelles Constructibles Dans Le Nouveau Lotissement 'Le Standing'30 Lots Prêts À Construire Dans Un Petit Lotissement Agréable. Lot N°23 Parcelle De 354 M² En 3 Faces, Idéalement Située À Proximité Immédiate De La Zone Commerciale Et De Toutes Les Commodités (Transports, Commerces, Etc.). Plusieurs Terrains Encore Disponibles Dans Ce Lotissement De Seulement 30 Parcelles
                          Professionnel Publié il y a plus de 7 jours
                          Pia Parking
                          • Terrain - 306 m²
                          • Terrain - 306 m²
                          • Terrain - 306 m²
                          • Terrain - 306 m²
                          • Terrain - 306 m²
                          • Terrain - 306 m² Cliquez pour voir les 8 photos

                          Terrain - 306 m²

                          89 000 €
                          Terrains à bâtir dans un lotissement neuf à Pia / Perpignan-Nord Un cadre de vie paisible aux portes de la ville Vous travaillez à Perpignan et rêvez de faire construire votre maison dans un environnement calme, lumineux et familial ? Découvrez notre lotissement neuf à Pia, à seulement 10 minutes de Perpignan, avec des terrains allant de 316 m² à 401 m² et des surfaces de pla
                          Professionnel Publié il y a plus de 7 jours Non géolocalisée
                          Pia Constructible Parking
                          • Terrain - 383 m²
                          • Terrain - 383 m²

                          Terrain - 383 m²

                          126 000 €
                          Rare : Terrain à bâtir de 383m² dans un lotissement à PIA. Entièrement viabilisé. SHON 115m² - CES : 115m² Pour plus d'informations, n'hésitez pas à me contacter : Réginald FINIELS - Agence Habitat foncier - Tél : 06.16.03.42.02 - Mail : rj.finiels@habitatfoncier.fr Prix de vente : 126 000 Euros Honoraires d'agence inclus charge acquéreur (6 000 Euros).
                          Professionnel Publié il y a plus de 7 jours Non géolocalisée
                          Pia Parking
                          • Terrain constructible - 679 m²
                          • Terrain constructible - 679 m²

                          Terrain constructible - 679 m²

                          159 000 €
                          TERRAIN 850M² lot BB viabilisé Belle parcelle en 4 faces dans un quartier de qualité sans vis à vis, pouvant accueillir un plain pied de préférence en construction libre avec une limite séparative de 4 m en RT2020 avec Toit plat. Pour la construction, si vous le souhaitez je vous invite à me contacter pour la mise en relation avec le constructeur et les honoraires. Pour plus
                          Professionnel Publié il y a plus de 7 jours
                          Pia
                          • Terrain constructible - 691 m²
                          • Terrain constructible - 691 m²
                          • Terrain constructible - 691 m²

                          Terrain constructible - 691 m²

                          162 000 €
                          TERRAIN 691M² Lot BB viabilisé Belle parcelle en 4 faces dans un quartier de qualité sans vis à vis, pouvant accueillir une plain pied de préférence en construction libre avec une limite séparative de 4m en RT2020 Toit plat. Pour la construction, si vous le souhaitez je vous invite à me contacter pour la mise en relation avec le constructeur et les honoraires. Pour plus d'in
                          Professionnel Publié il y a plus de 7 jours
                          Pia
                          • Terrain - 306 m²
                          • Terrain - 306 m²
                          • Terrain - 306 m²
                          • Terrain - 306 m²

                          Terrain - 306 m²

                          97 000 €
                          Parcelles constructibles dans le lotissement 'Quercus Garden' à Pia.Surfaces comprises entre 306 m² et 409 m²Prix allant de 97 000EUR à 115 000EURContactez moi ==> Julien GIMENO 06 79 77 29 40 (E. I.) RSAC 900932401 PERPIGNAN.Honoraires à la charge du vendeur.Les informations sur les risques auxquels ce bien est exposé sont disponibles sur le site Géorisques : www.georisques.go
                          Professionnel Publié il y a plus de 7 jours Non géolocalisée
                          Pia Parking
                          • Terrain - 1 484 m²
                          • Terrain - 1 484 m²
                          • Terrain - 1 484 m²
                          • Terrain - 1 484 m²
                          • Terrain - 1 484 m²
                          • Terrain - 1 484 m² Cliquez pour voir les 6 photos

                          Terrain - 1 484 m²

                          265 000 €
                          Iad France - David Giralt vous propose : Nouveauté Secteur PIA 1 parcelle de 1484 m² Magnifique parcelle dans une impasse en 4 faces viabilisée, arborées, total égouts, clôturés sans vis à vis exposée plein sud, avec forage, arrosage automatique, portail. Emprise au sol possible 30% du COS donc 445 m² de surface au sol. David Giralt iad France, votre conseiller Immobilier sur P
                          Professionnel Publié il y a plus de 7 jours
                          Pia
                          • Terrain - 1 391 m²
                          • Terrain - 1 391 m²
                          • Terrain - 1 391 m²
                          • Terrain - 1 391 m²
                          • Terrain - 1 391 m²
                          • Terrain - 1 391 m² Cliquez pour voir les 7 photos

                          Terrain - 1 391 m²

                          259 000 €
                          Iad France - David Giralt vous propose : Nouveauté Secteur PIA 1 parcelle de 1391 m² Magnifique parcelle dans une impasse en 4 faces viabilisée, arborées, total égouts, cloturés sans vis à vis exposée plein sud, avec forage, arrosage automatique, portail. On retrouve également une cusiine d'été avec toilette et salle de bain. Emprise au sol possible 30% du COS donc 417 m² de su
                          Professionnel Publié il y a plus de 7 jours
                          Pia
                          • Terrain - 244 m²
                          • Terrain - 244 m²
                          • Terrain - 244 m²

                          Terrain - 244 m²

                          86 000 €
                          À vendre, parcelles constructibles dans un nouveau lotissement de 30 lots à Pia.Surfaces entre 244 m² et 472 m²Prix allant de 86 000EUR à 149 000EURConstruction libre en 2 ou 3 facesContactez-moi ==> Julien GIMENO 06 79 77 29 40 (E. I.) RSAC 900932401 PERPIGNAN.Honoraires charge vendeurLes informations sur les risques auxquels ce bien est exposé sont disponibles sur le site Géo
                          Professionnel Publié il y a plus de 7 jours Non géolocalisée
                          Pia Parking
                          • Terrain - 310 m²
                          • Terrain - 310 m²
                          • Terrain - 310 m²
                          • Terrain - 310 m²
                          • Terrain - 310 m²
                          • Terrain - 310 m² Cliquez pour voir les 7 photos

                          Terrain - 310 m²

                          99 000 €
                          Iad France - David Giralt vous propose : Nouveauté TERRAIN PIA Lotissement « Quercus Garden » Opportunité à saisir, je vous envoie par mail le plan du lotissement, les parcelles disponibles ainsi que le règlement du lotissement, afin de vous positionner dessus. Immobilisation de la parcelle = 1000e 31 Terrains constructibles de 301 m² à 409 m². Magnifique parcelle en 3 faces, c
                          Professionnel Publié il y a plus de 7 jours
                          Pia

                          Achat d'un terrain à Pia. Toutes les ventes immobilières à Pia et aux environs. Terrain à vendre.

                          Recherche en cours...
                          Rechercher dans cette zone