• Terrain - 897 m²
55 000 €
897 m²

Description :

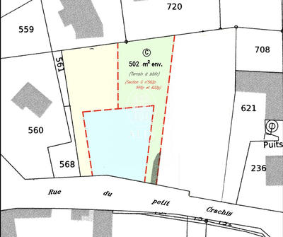
Iad France - Rémy Bertin vous propose : Terrain constructible d'une superficie de 897 m² environ façade de 25.85 mètres, situé à Pannes, en retrait d'une route non passante, accès par un chemin communal et à 2 minutes du bourg. Sur cette charmante commune, vous trouverez : écoles maternelle et primaire, arrêts de BUS pour collège et lycée, pôle médical et commerces de proximité. Gare à 15 minutes et accès à l'autoroute A77 à 5 minutes. + - Terrain borné. - Viabilisé. - Étude de sol réalisée. - Raccord assainissement collectif. Venez découvrir cette parcelle en lot arrière, faisant partie d'un ensemble de trois terrains avec la possibilité d'en combiner plusieurs. (Avis de valeur de votre bien offert) Honoraires d'agence à la charge du vendeur. Bien non soumis au DPE. Les informations sur les risques auxquels ce bien est exposé, y compris l'obligation légale de débroussaillement, sont disponibles sur le site Géorisques : http://www.georisques.gouv.fr. La présente annonce immobilière a été rédigée sous la responsabilité éditoriale de M Rémy Bertin mandataire indépendant en immobilier (sans détention de fonds), agent commercial de la SAS I@D France immatriculé au RSAC de Orleans sous le numéro 953067204, titulaire de la carte de démarchage immobilier pour le compte de la société I@D France SAS.

Afficher plus de détails

Informations sur ce bien :

L'intérieur :

  • 897 m²

Autres :

  • Mitoyenneté :
    Non

Terrain :

  • Viabilisé :
    Non
Synthèse
Terrain à Pannes
55 000 €
Surface : 897 m²
Prix au m² : 61 €
Transaction :
Achat
Référence :
1718495
Date de publication :
Il y a plus de 7 jours
Terrain - 897 m²
Agent
iad france
iad france
Rémy Bertin
Appeler
Écrire
Mettre en avant cette annonce
Signaler une erreur

Localisation :

L'adresse exacte n'est pas renseignée. Le bien se situe dans cette zone.
Annonces similaires
Annonces immobilières récentes