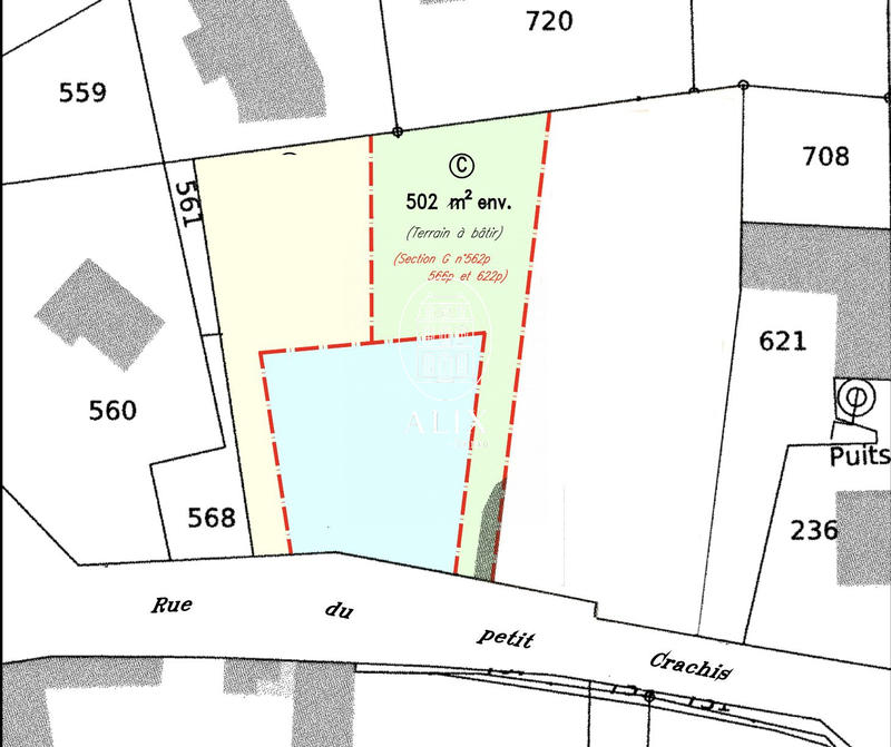
Terrain - 502 m² à Ferrières-en-Gâtinais
favoris
55 000 €
Description :
Terrain à bâtir de 502 m2 à usage d'habitation en centre ville de FERRIERES EN GATINAIS 1h10 de Paris, accès A6 proche, toutes commodités, commerces, écoles, collège.
Gare SNCF à 15mn à pied.
N hésitez pas à me contacter également pour les autres terrains disponibles.
Honoraires à la charge du vendeur. Les informations sur les risques auxquels ce bien est exposé sont disponibles sur le site Géorisques : georisques.gouv.fr.
Votre conseiller Alix-Immo : Olivier ROCARD
Agent commercial (Entreprise individuelle)
RSAC 835 007 964
Afficher plus de détails
Informations sur ce bien :
L'intérieur :
-
502 m²
L'extérieur :
-
Parking
Terrain :
-
Viabilisé :Non
Synthèse
Terrain à Ferrières-en-Gâtinais
55 000 €
Surface :
502 m²
Prix au m² :
110 €
Transaction :
Achat
Référence :
VT062-IMAX
Mandat :
Exclusif
Date de publication :
Il y a plus de 7 jours
Contacter l'annonceur
Agent
Alix-Immo
Olivier ROCARD
Mettre en avant cette annonce
Signaler une erreur
Localisation :
Ventes de terrains à proximité
- 4 ventes de terrains à Fontenay-sur-Loing (1.9 km)
- 2 ventes de terrains à Griselles (3.3 km)
- 4 ventes de terrains à Paucourt (5.6 km)
- 6 ventes de terrains à Cepoy (6.3 km)
- 2 ventes de terrains à Dordives (6.4 km)
- 2 ventes de terrains à Girolles (6.4 km)
- 3 ventes de terrains à La Selle-sur-le-Bied (8.3 km)
- 5 ventes de terrains à Corquilleroy (8.4 km)
- 2 ventes de terrains à La Chapelle-Saint-Sépulcre (9.1 km)