• Terrain - 700 m²
  • Terrain - 700 m²
  • Terrain - 700 m²
79 000 €
700 m²

Description :

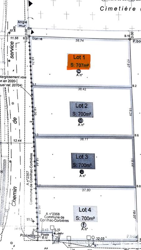
Iad France - Ingrid Deroo vous propose : En exclusivité – Terrain constructible à Conilhac-Corbières Située dans un quartier résidentiel calme de Conilhac-Corbières, cette parcelle plate de 700 m² (lot n°1), issue d’une division parcellaire, constitue une belle opportunité pour votre projet de construction. Atouts majeurs : - Terrain viabilisé (eau + électricité). - Accès autoroute à seulement 5 min en voiture. - À 2 min en voiture de la zone commerciale de Lézignan-Corbières : Bricomarché, Zeeman, Action, Intermarché, Carrefour, boulangerie, boucherie etc… - À 2 min à pied seulement de la crèche fraichement construite et de l’école. - Proche des commodités : restaurant, city stade et épicerie du village. - Environnement agréable et familial - En limite arrière, une parcelle destinée à rester en espaces verts, assurant vue dégagée et tranquillité durable Idéal pour une résidence principale ou un investissement locatif. Une présentation par un clip vidéo est disponible pour ce bien. Ce clip est visible directement sur certains sites immobiliers où l’annonce est diffusée, ou sur simple demande. N’hésitez pas à me contacter pour plus d’informations ou pour organiser une visite. Honoraires d'agence à la charge du vendeur. Bien non soumis au DPE. Les informations sur les risques auxquels ce bien est exposé, y compris l'obligation légale de débroussaillement, sont disponibles sur le site Géorisques : http://www.georisques.gouv.fr. La présente annonce immobilière a été rédigée sous la responsabilité éditoriale de Mme Ingrid Deroo mandataire indépendant en immobilier (sans détention de fonds), agent commercial de la SAS I@D France immatriculé au RSAC de Narbonne sous le numéro 832530299, titulaire de la carte de démarchage immobilier pour le compte de la société I@D France SAS.

Afficher plus de détails

Informations sur ce bien :

L'intérieur :

  • 700 m²

Autres :

  • Mitoyenneté :
    Non

Terrain :

  • Viabilisé :
    Non
Synthèse
Terrain à Conilhac-Corbières
79 000 €
Surface : 700 m²
Prix au m² : 113 €
Transaction :
Achat
Référence :
1861297
Date de publication :
Il y a plus de 7 jours
Terrain - 700 m²
Agent
iad france
iad france
Ingrid Deroo
Appeler
Écrire
Mettre en avant cette annonce
Signaler une erreur

Localisation :

L'adresse exacte n'est pas renseignée. Le bien se situe dans cette zone.
Annonces similaires
Annonces immobilières récentes