• Terrain - 330 m²
  • Terrain - 330 m²
  • Terrain - 330 m²
108 500 €
330 m²

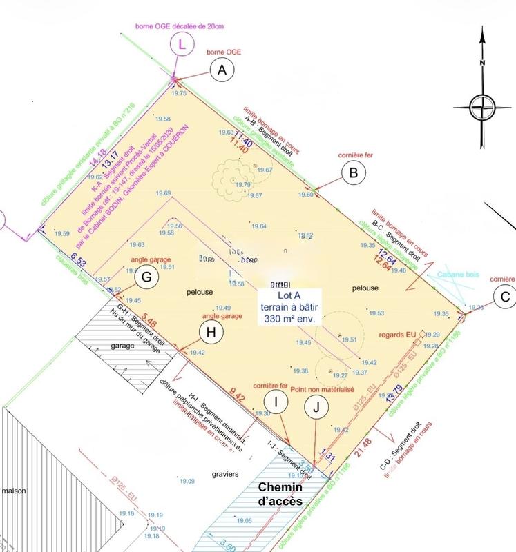
Description :

Iad France - Félix Bonno vous propose : IDÉALEMENT SITUÉ - SECOND RIDEAU - TOUT À L'ÉGOUT DÉJA RACCORDÉ Terrain à bâtir situé dans le centre-ville de Saint-Étienne de Monluc, d'une superficie de 330 m² environ. Zone UB. Non viabilisé hors E. U. Idéalement situé, au calme en second rideau, sans perte d'espace grâce à son chemin d'accès non compris dans la parcelle, déjà clôturé. Le tout à l'égout est déjà raccordé (voir plan E. U). Honoraires d'agence à la charge du vendeur. Bien non soumis au DPE. Les informations sur les risques auxquels ce bien est exposé, y compris l'obligation légale de débroussaillement, sont disponibles sur le site Géorisques : http://www.georisques.gouv.fr. La présente annonce immobilière a été rédigée sous la responsabilité éditoriale de M Félix Bonno mandataire indépendant en immobilier (sans détention de fonds), agent commercial de la SAS I@D France immatriculé au RSAC de SAINT NAZAIRE sous le numéro 951085737, titulaire de la carte de démarchage immobilier pour le compte de la société I@D France SAS.

Afficher plus de détails

Informations sur ce bien :

L'intérieur :

  • 330 m²

Autres :

  • Mitoyenneté :
    Non

Terrain :

  • Viabilisé :
    Non
Synthèse
Terrain à Saint-Étienne-de-Montluc
108 500 €
Surface : 330 m²
Prix au m² : 329 €
Transaction :
Achat
Référence :
1980008
Date de publication :
Il y a plus de 7 jours
Terrain - 330 m²
Agent
iad france
iad france
Félix Bonno
Appeler
Écrire
Mettre en avant cette annonce
Signaler une erreur

Localisation :

L'adresse exacte n'est pas renseignée. Le bien se situe dans cette zone.
Annonces similaires
Annonces immobilières récentes