Entrepôt - 299 m² à Noisiel
Description :
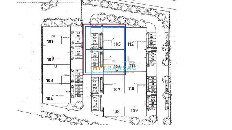
My Transac vous propose à la location 2 cellules d'activités d'une superficie totale de 580 m² divisible, situé sur la commune de Noisiel (77186)
Prestations :
Au total Lots 105-106 : 580m² : 466m² acti rdc et 114m² de bureaux
Lot 105 : 299m² : 259 acti rdc et 40m² de bureaux
Lot 106 : 281m² : 207 acti rdc et 74m² de bureaux
Hauteur libre sour poutre : 6 m
Résistance au sol : 3 T/m²
2 portes sectionnelles de plain-pied
Places de parkings : 10
Ossature métallique et bardage double peau
Toiture avec éclairage zénithal (skydômes)
Bureaux cloisonnés et open-space
Chauffage par convecteurs électriques
Pré-câblage informatique et téléphonique
Accès gros et moyens porteurs
Conditions financières :
Loyer : 95 €/m²/an HT HC
Charges : 17 €/m²/an
Taxe foncière : 20,50 €/m²/an
Taxe bureaux : 5 €/m²/an
Dépôt de garantie : 3 mois de loyer HT/HC
Paiement : Trimestriel
Bail commercial 3/6/9 ans
Accès :
Autoroutes : A4, N104
Transports en commun :RER A - Noisiel
Bus : Lignes 211, 100, 321
Informations sur ce bien :
L'intérieur :
-
299 m²
L'extérieur :
-
Parking
Localisation :
Location de locaux d'activités et entrepôts à proximité
- 2 location de locaux d'activités et entrepôts à Champs-sur-Marne (1.9 km)
- 10 location de locaux d'activités et entrepôts à Torcy (1.9 km)
- 32 location de locaux d'activités et entrepôts à Lognes (2 km)
- 3 location de locaux d'activités et entrepôts à Vaires-sur-Marne (2.2 km)
- 27 location de locaux d'activités et entrepôts à Croissy-Beaubourg (3.7 km)
- 1 location de local d'activité et entrepôt à Collégien (3.8 km)
- 4 location de locaux d'activités et entrepôts à Chelles (3.8 km)
- 8 location de locaux d'activités et entrepôts à Saint-Thibault-des-Vignes (4.6 km)
- 10 location de locaux d'activités et entrepôts à Émerainville (4.8 km)