• Terrain - 2 143 m²
  • Terrain - 2 143 m²
  • Terrain - 2 143 m²
  • Terrain - 2 143 m²
  • Terrain - 2 143 m²
48 500 €
2 143 m²

Description :

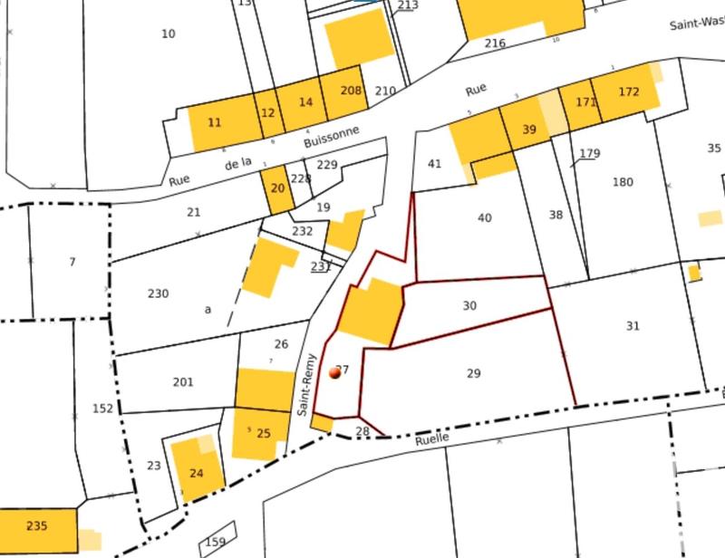
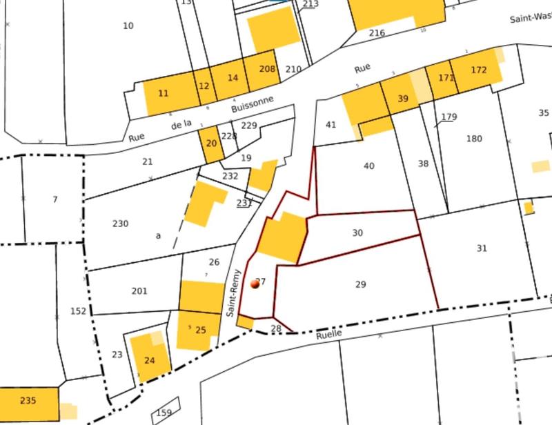
Iad France - Kyllian Manente vous propose : Venez découvrir ce terrain constructible non viabilisé de plus de 2 100 m², situé dans le charmant village de Logny-Bogny, dans un secteur très calme et paisible. À seulement 5 minutes de Liart, où vous trouverez toutes les commodités, et à environ 30 minutes de Charleville-Mézières. Vous retrouverez les plans cadastraux parmi les photos de l’annonce. Contactez-moi dès à présent pour obtenir plus d’informations et organiser une visite. Honoraires d'agence à la charge du vendeur. Bien non soumis au DPE. Les informations sur les risques auxquels ce bien est exposé, y compris l'obligation légale de débroussaillement, sont disponibles sur le site Géorisques : http://www.georisques.gouv.fr. La présente annonce immobilière a été rédigée sous la responsabilité éditoriale de M Kyllian Manente mandataire indépendant en immobilier (sans détention de fonds), agent commercial de la SAS I@D France immatriculé au RSAC de BRIEY sous le numéro 920366176, titulaire de la carte de démarchage immobilier pour le compte de la société I@D France SAS.

Afficher plus de détails

Informations sur ce bien :

L'intérieur :

  • 2 143 m²

Autres :

  • Mitoyenneté :
    Non

Terrain :

  • Viabilisé :
    Non
Synthèse
Terrain à Logny-Bogny
48 500 €
Surface : 2 143 m²
Prix au m² : 23 €
Transaction :
Achat
Référence :
1736174
Date de publication :
Il y a plus de 7 jours
Terrain - 2 143 m²
Agent
iad france
iad france
Kyllian Manente
Appeler
Écrire
Mettre en avant cette annonce
Signaler une erreur

Localisation :

L'adresse exacte n'est pas renseignée. Le bien se situe dans cette zone.
Annonces similaires
Annonces immobilières récentes