• Terrain - 5 436 m²
  • Terrain - 5 436 m²
  • Terrain - 5 436 m²
  • Terrain - 5 436 m²
  • Terrain - 5 436 m²
1 200 000 €
5 436 m²

Description :

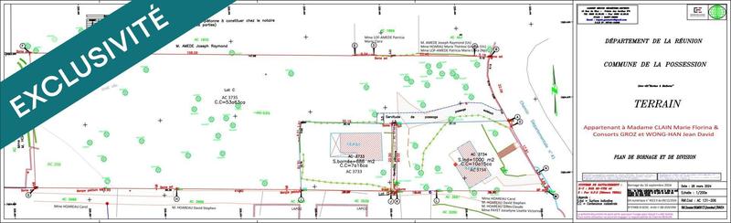
Opportunité rare pour un projet de promotion immobilière : Ce terrain idéalement situé sur la commune de Ravine à Malheur, bénéficie d'une vue imprenable sur la mer et les montagnes. Ref cadastrale : AC3735 Projet de parcellisation proposé pour 12 parcelles (en 380 m² / parcelle) Localisation & accès Accès direct par la CD41 Proche des commodités et services essentiels Réseau routier facile d'accès Caractéristiques urbanistiques (Zone UBC) Recul de 3 m minimum 2 limites séparatives (18 ml au total) Hauteur autorisée : R+2 + combles Égout : 7 m / Faîtage : 10 m Recul entre 2 constructions : ? (H + h) / 2 avec un minimum de 3 m Emprise au sol : non définie (35 % de zone perméable obligatoire) ? Infrastructures & viabilisation Eau, électricité, téléphone en limite de parcelle Bouche incendie à proximité sur la RD 41 Assainissement : non raccordé au réseau collectif (prévoir un dispositif adapté) Cadre exceptionnel Ce terrain se distingue par sa topographie et son environnement paisible, parfait pour développer un projet immobilier valorisant le panorama naturel. Idéal pour un programme résidentiel de standing, alliant confort moderne et cadre naturel d'exception. Les informations sur les risques auxquels ce bien est exposé sont disponibles sur le site Géorisques : www.georisques.gouv.fr Prix de vente : 1 200 000 € Honoraires charge vendeur Contactez votre conseiller SAFTI : Ludovic DI FRANZ, Tél. : 06 92 70 46 68, E-mail : ludovic.difranz@safti.fr - EI - Agent commercial immatriculé au RSAC de SAINT DENIS DE LA REUNION sous le numéro 491 854 725.

Afficher plus de détails

Informations sur ce bien :

L'intérieur :

  • 5 436 m²

Autres :

  • Mitoyenneté :
    Non

Terrain :

  • Viabilisé :
    Non
Synthèse
Terrain à La Possession
1 200 000 €
Surface : 5 436 m²
Prix au m² : 221 €
Transaction :
Achat
Référence :
1538215
Date de publication :
Il y a plus de 7 jours
Terrain - 5 436 m²
Agent
SAFTI
SAFTI
Ludovic DI FRANZ
Appeler
Écrire
Mettre en avant cette annonce
Signaler une erreur

Localisation :

L'adresse exacte n'est pas renseignée. Le bien se situe dans cette zone.
Annonces similaires
Annonces immobilières récentes