Retour
Rechercher
Lieu
Où ?
    Type de bien
    Quel type de projet ?
    Particulier Entreprise
    Quel type de bien ?
        Prix
        Quel budget ?
              Surface
              Quelle surface ?
                    Pièces
                    Combien de pièces ?
                      Combien de chambres ?
                          2

                          Ventes de terrains à Grâces

                          Recherche 2
                          Carte
                          Terrain - 550 m²

                          Terrain - 550 m²

                          40 499 €
                          Terrain à Grâces ARTHURIMMO GUINGAMP vous propose ce terrain réputé, constructible, viabilisé, au bourg de Grâces D'une contenance de près de 550 m2, et libre de tous constructeurs, il offre la possibilité d'entrée par 2 rues différentes. Toute notre équipe est à votre disposition pour une visite ou pour tous renseignements complémentaires.
                          Professionnel Publié il y a plus de 7 jours Non géolocalisée
                          Grâces Parking
                          • Terrain - 538 m²
                          • Terrain - 538 m²
                          • Terrain - 538 m²
                          • Terrain - 538 m²
                          • Terrain - 538 m²
                          • Terrain - 538 m² Cliquez pour voir les 6 photos

                          Terrain - 538 m²

                          39 500 €
                          Iad France - Ophelie Renaudin vous propose : Terrain à bâtir de 538 m² environ situé à Grâces, dans un quartier calme. Le terrain est borné, viabilisé. Il est situé dans un lotissement de 9 lots (en cours de construction). Pas de servitude. Tout à l'égout. Honoraires d'agence à la charge du vendeur. Bien non soumis au DPE. Les informations sur les risques auxquels ce bien est e
                          Professionnel Publié il y a plus de 7 jours
                          Grâces
                          1

                          Vente de terrain à Plouisy

                          (2.4 km)
                          • Terrain - 849 m²
                          • Terrain - 849 m²
                          • Terrain - 849 m²

                          Terrain - 849 m²

                          45 000 €
                          Situé au calme et proche des axes majeurs ainsi que des commodités à Plouisy, ce beau terrain plat non viabilisé saura accueillir votre projet de vie. D'une surface de 849m² ce terrain arboré n'est pas viabilisé, les réseaux électriques, de communication et d'eau se trouvent en bordure. Un assainissement individuel est à prévoir. Pour visiter et vous accompagner dans votre proj
                          Professionnel Publié il y a plus de 7 jours
                          Plouisy
                          2

                          Ventes de terrains à Guingamp

                          (2.7 km)
                          • Terrain constructible - 1 132 m²
                          • Terrain constructible - 1 132 m²

                          Terrain constructible - 1 132 m²

                          69 500 €
                          Rare a vendre Terrain a bâtir de 1132M² Terrain de 1132, borné, situé dans le centre bourg proche de toutes les commodités, écoles, commerces entre Guingamp et la mer, RN12 à 10 minutes, sans vis a vis et au calme. Les honoraires d'agence sont à la charge de l'acquéreur, soit 7,75% TTC du prix hors honoraires. Les informations sur les risques auxquels ce bien est exposé sont d
                          Professionnel Publié il y a plus de 7 jours
                          Guingamp
                          • Terrain - 467 m²
                          • Terrain - 467 m²
                          • Terrain - 467 m²

                          Terrain - 467 m²

                          54 500 €
                          TERRAIN CENTRE VILLE DE 467 M² - ARTHURIMMO GUINGAMP Au coeur de Guingamp, à 2 pas du centre-ville, venez découvrir ce terrain à bâtir d'une surface de 467 m² à viabiliser. Vous serez séduits par son emplacement. A saisir rapidement. Le moins : vous ne pourrez obtenir votre permis de construire qu'à la levée de l'arrêté préfectoral sur la mise au norme de la station d'épuration
                          Professionnel Publié il y a plus de 7 jours Non géolocalisée
                          Guingamp Parking
                          1

                          Vente de terrain à Pabu

                          (4.9 km)
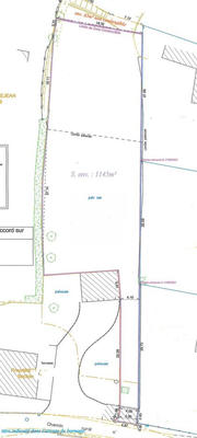
                          • Terrain - 1 145 m²
                          • Terrain - 1 145 m²
                          • Terrain - 1 145 m²
                          • Terrain - 1 145 m²
                          • Terrain - 1 145 m²

                          Terrain - 1 145 m²

                          49 500 €
                          MANSON PROPERTIES vous invite à découvrir ce magnifique terrain constructible d'une superficie totale de 1145 m², Idéalement situé en impasse, offrant ainsi calme et tranquillité. Ce terrain est proche des écoles, des commerces et de toutes les commodités, ce qui en fait un emplacement parfait pour réaliser votre projet immobilier. Le terrain est entièrement constructible et bé
                          Professionnel Publié il y a plus de 7 jours
                          Pabu Parking
                          1

                          Vente de terrain à Moustéru

                          (5.9 km)
                          • Terrain - 565 m²
                          • Terrain - 565 m²
                          • Terrain - 565 m²
                          • Terrain - 565 m²
                          • Terrain - 565 m²

                          Terrain - 565 m²

                          19 900 €
                          EN EXCLUSIVITÉ chez SAFTI, terrain plat à bâtir. Dans la commune de Moustéru, à seulement 9 min de Guingamp, accès rapide à la RN 12, école maternelle et primaire, commerce de proximité à deux pas de cet emplacement idéale dans un quartier calme et agréable. La viabilisation sera à votre charge. L'électricité, l'eau et le téléphone : au pied du terrain. Le réseau collectif est
                          Professionnel Publié il y a plus de 7 jours
                          Moustéru
                          2

                          Ventes de terrains à Saint-Agathon

                          (6 km)
                          • Terrain - 400 m²
                          • Terrain - 400 m²

                          Terrain - 400 m²

                          46 000 €
                          TERRAIN ST AGATHON A saint Agathon, côté bourg, nous vous proposons un terrain, plat, de 400m2 réputé constructible. Il est semi viabilisé, avec, par ailleurs, un accès au tout à l'égout. Notre équipe est à votre disposition pour tous renseignements ou pour une visite !
                          Professionnel Publié il y a plus de 7 jours Non géolocalisée
                          Saint-Agathon Parking
                          • Terrain - 620 m²
                          • Terrain - 620 m²

                          Terrain - 620 m²

                          60 000 €
                          TERRAIN A ST AGATHON Terrain de 620 m2, réputé constructible à viabilisé, sur la commune de Saint Agathon. Terrain plat, idéalement placé, proche de Guingamp et de ses commodités. Notre équipe est à votre disposition pour une visite ou pour tous renseignements !
                          Professionnel Publié il y a plus de 7 jours Non géolocalisée
                          Saint-Agathon Parking
                          1

                          Vente de terrain à Bourbriac

                          (9.2 km)
                          • Terrain constructible - 1 634 m²
                          • Terrain constructible - 1 634 m²
                          • Terrain constructible - 1 634 m²
                          • Terrain constructible - 1 634 m²
                          • Terrain constructible - 1 634 m²
                          • Terrain constructible - 1 634 m² Cliquez pour voir les 8 photos

                          Terrain constructible - 1 634 m²

                          55 000 €
                          Ce terrain à bâtir vous intéresse ? Configurez votre projet de construction sur ce terrain en ligne sur Maisons-Alysia(.com) : • + de 250 modèles de maisons personnalisables • Une base de données de plusieurs milliers de terrains • Des matériaux et des équipements premium • Les prix les plus bas constatés sur le marché • Les meilleurs financements avec des partenaires experts
                          Professionnel Publié le 16 janv. à 08:55 Non géolocalisée
                          Bourbriac
                          6

                          Ventes de terrains à Pommerit-le-Vicomte

                          (9.9 km)
                          • Terrain constructible - 361 m²
                          • Terrain constructible - 361 m²
                          • Terrain constructible - 361 m²
                          • Terrain constructible - 361 m²
                          • Terrain constructible - 361 m²
                          • Terrain constructible - 361 m² Cliquez pour voir les 8 photos

                          Terrain constructible - 361 m²

                          19 548 €
                          Ce terrain à bâtir vous intéresse ? Configurez votre projet de construction sur ce terrain en ligne sur Maisons-Alysia(.com) : • + de 250 modèles de maisons personnalisables • Une base de données de plusieurs milliers de terrains • Des matériaux et des équipements premium • Les prix les plus bas constatés sur le marché • Les meilleurs financements avec des partenaires experts
                          Professionnel Publié aujourd'hui à 09:11 Non géolocalisée
                          Pommerit-le-Vicomte
                          • Terrain constructible - 713 m²
                          • Terrain constructible - 713 m²

                          Terrain constructible - 713 m²

                          32 800 €
                          Vous souhaitez faire construire votre maison dans un environnement calme, non loin des commodités. ORPI Guingamp, vous propose en exclusivité ce terrain constructible non viabilisé de 713 m², situé à 5 min du bourg de Pommerit Le Vicomte. Les réseaux sont à proximité de la parcelle : électricité, eau, fibre, téléphone. Un assainissement individuel est à prévoir. Ne tardez pl
                          Professionnel Publié hier à 08:53 Non géolocalisée
                          Pommerit-le-Vicomte
                          • Terrain constructible - 758 m²
                          • Terrain constructible - 758 m²

                          Terrain constructible - 758 m²

                          34 800 €
                          Vous souhaitez faire construire votre maison dans un environnement calme, non loin des commodités. ORPI Guingamp, vous propose en exclusivité ce terrain constructible non viabilisé de 758 m², situé à 5 min du bourg de Pommerit Le Vicomte. Les réseaux sont à proximité de la parcelle : électricité, eau, fibre, téléphone. Un assainissement individuel est à prévoir. Ne tardez pl
                          Professionnel Publié hier à 08:53 Non géolocalisée
                          Pommerit-le-Vicomte
                          • Terrain constructible - 534 m²
                          • Terrain constructible - 534 m²
                          • Terrain constructible - 534 m²
                          • Terrain constructible - 534 m²

                          Terrain constructible - 534 m²

                          26 800 €
                          Vous souhaitez faire construire votre maison dans un environnement calme, non loin des commodités. ORPI Guingamp, vous propose en exclusivité ce terrain constructible non viabilisé de 534 m², situé à 5 min du bourg de Pommerit Le Vicomte. Les réseaux sont à proximité de la parcelle : électricité, eau, fibre, téléphone. Un assainissement individuel est à prévoir. Ne tardez pl
                          Professionnel Publié hier à 08:53 Non géolocalisée
                          Pommerit-le-Vicomte
                          Terrain - 730 m²

                          Terrain - 730 m²

                          41 000 €
                          Pommerit-Le Vicomte-MANSON-PROPERTIES vous propose ce beau terrain plat constructible de 668 m². Ce terrain est viabilisé et l'eau passe dans la rue, Raccordable au tout-à-l'égout. Contactez vite votre agent commercial Loïc BERHAULT MANSON-PROPERTIES Honoraires à la charge du vendeur. Les informations sur les risques auxquels ce bien est exposé sont disponibles sur le site G
                          Professionnel Publié il y a plus de 7 jours
                          Pommerit-le-Vicomte Parking
                          1

                          Vente de terrain à Plouëc-du-Trieux

                          (13.1 km)
                          Terrain constructible - 650 m²

                          Terrain constructible - 650 m²

                          39 600 €
                          22260 - PLOUËC-DU-TRIEUX - CENTRE-VILLE - TERRAIN CONSTRUCTIBLE - 650.0 m² - OPPORTUNITÉ À SAISIR! efficity, l'agence qui estime votre bien en ligne, vous propose ce terrain constructible de 650.0 m² situé en plein cœur du centre-ville de Plouëc-du-Trieux, offrant un cadre de vie idéal pour réaliser votre projet immobilier. Idéalement placé, ce terrain vous séduira par sa pr
                          Professionnel Publié il y a plus de 7 jours
                          Plouëc-du-Trieux
                          2

                          Ventes de terrains à Bringolo

                          (13.5 km)
                          • Terrain - 693 m²
                          • Terrain - 693 m²
                          • Terrain - 693 m²
                          • Terrain - 693 m²

                          Terrain - 693 m²

                          45 000 €
                          Terrains à bâtir situé sur la charmante commune de BRINGOLO, proche Chatelaudren dans un petit lotissement privée composé de seulement 4 lots . Ce terrain de 693m² est partiellement viabilisé en eau et Electricité. Vous aurez également le plaisir de trouver 3 terrains attenants de 752m² 841m² et 1101m² Commercialisation des terrains à partir de 45000 Euros. Bringolo commune sit
                          Professionnel Publié il y a plus de 7 jours
                          Bringolo Parking
                          • Terrain - 693 m²
                          • Terrain - 693 m²
                          • Terrain - 693 m²

                          Terrain - 693 m²

                          49 880 €
                          Découvrez une opportunité rare au coeur du bourg de Bringolo. Situés dans un environnement calme et verdoyant, ces quatre terrains à bâtir vous offrent la liberté de réaliser votre projet de construction sur mesure, avec le constructeur de votre choix. Idéalement positionnés à seulement 20 minutes de Binic et de ses plages, ces lots bénéficient d'un emplacement stratégique, all
                          Professionnel Publié il y a plus de 7 jours Non géolocalisée
                          Bringolo Constructible Parking
                          2

                          Ventes de terrains à Plouagat

                          (13.9 km)
                          Terrain constructible - 427 m²

                          Terrain constructible - 427 m²

                          34 000 €
                          Bruno BERTHELOT vous propose ce bien : PLOUAGAT CENTRE, Hors lotissement terrain à bâtir, plat, d'une surface de 427 m2 vendu borné, non viabilisé. Eau, électricité, télécom, tout à l'égout bordent le terrain. Prix du bien honoraires inclus charge vendeur : 34 000 € Vidéo disponible sur mon site : Bruno BERTHELOT immobilier Informations et visites : 06.80.88.87.33 Agent com
                          Professionnel Publié il y a plus de 7 jours Non géolocalisée
                          Plouagat
                          Terrain constructible

                          Terrain constructible

                          36 900 €
                          Nous vous proposons plusieurs lots à la vente sur notre lotissement de Plouagat, de 387 à 706 m², terrains bornés et viabilisés. Pour tous renseignements contacter l'agence Néology de Plérin.
                          Professionnel Publié il y a plus de 7 jours
                          Plouagat
                          1

                          Vente de terrain à Belle-Isle-en-Terre

                          (15.6 km)
                          • Terrain - 200 m²
                          • Terrain - 200 m²
                          • Terrain - 200 m²
                          • Terrain - 200 m²
                          • Terrain - 200 m²
                          • Terrain - 200 m² Cliquez pour voir les 6 photos

                          Terrain - 200 m²

                          60 000 €
                          Gros potentiel à la lisière de la Foret, idéal pour les amoureux de la nature et proche de toutes commodité proche de toutes commoditées avec possibilité de viabilisation (eau et electricité dans la rue en face ), prévoir l assainissement. Possibilité Bornage pour une parcelle au frais acquéreur. Les informations sur les risques auxquels ce bien est exposé sont disponibles sur
                          Professionnel Publié il y a plus de 7 jours
                          Belle-Isle-en-Terre
                          1

                          Vente de terrain au Faouët

                          (16.3 km)
                          Terrain - 4 856 m²

                          Terrain - 4 856 m²

                          99 500 €
                          À VENDRE Sur Le Faouët, venez découvrir ce terrain entièrement constructible d'une surface de 4856m2. Terrain non borné et non viabilisé. Idéal pour la création de plusieurs lots. Ce bien vous intéresse ? Contactez-nous ! Prix du bien : 95 000EUR Prix du bien hors honoraires : 99 500EUR Honoraires TTC : 4,74 % soit 4 500EUR Honoraires à la charge de : Acquéreur Les informati
                          Professionnel Publié il y a plus de 7 jours Non géolocalisée
                          Le Faouët Constructible Parking Exposition Sud
                          3

                          Ventes de terrains à Lanvollon

                          (16.8 km)
                          • Terrain constructible - 371 m²
                          • Terrain constructible - 371 m²
                          • Terrain constructible - 371 m²
                          • Terrain constructible - 371 m²
                          • Terrain constructible - 371 m²
                          • Terrain constructible - 371 m² Cliquez pour voir les 8 photos

                          Terrain constructible - 371 m²

                          46 000 €
                          Ce terrain à bâtir vous intéresse ? Configurez votre projet de construction sur ce terrain en ligne sur Maisons-Alysia(.com) : • + de 250 modèles de maisons personnalisables • Une base de données de plusieurs milliers de terrains • Des matériaux et des équipements premium • Les prix les plus bas constatés sur le marché • Les meilleurs financements avec des partenaires experts
                          Professionnel Publié aujourd'hui à 09:11 Non géolocalisée
                          Lanvollon
                          • Terrain - 1 000 m²
                          • Terrain - 1 000 m²
                          • Terrain - 1 000 m²
                          • Terrain - 1 000 m²

                          Terrain - 1 000 m²

                          79 000 €
                          À découvrir sans tarder pour votre projet de construction, un terrain plat d'environ 1000 m², à viabiliser, le bornage est en cours. Un chalet sur dalle béton vient compéter ce terrain pour le stockage au sec de matériel durant la future construction. Son excellent emplacement à 6mn de Plouha, et 10mn de Saint Quay Portrieux, et 16 mn de Blinic, vous garantie un cadre de vie ex
                          Professionnel Publié aujourd'hui à 06:51
                          Lanvollon
                          • Terrain - 1 458 m²
                          • Terrain - 1 458 m²
                          • Terrain - 1 458 m²

                          Terrain - 1 458 m²

                          56 500 €
                          terrain d'environ 1458 m2 situé sur la commune de Goudelin, à la limite de Lanvollon. Hors lotissement, borné, terrain plat, et clos. Le terrain est entièrement constructible. L'assainissement individuel est à prévoir. terrain desservi : eau, électricité. Honoraires inclus de 5.61% TTC à la charge de l'acquéreur. Prix hors honoraires 53 500 €. Les informations sur les risques
                          Professionnel Publié il y a plus de 7 jours Non géolocalisée
                          Lanvollon Parking
                          1

                          Vente de terrain à Lannebert

                          (17.1 km)
                          • Terrain constructible - 850 m²
                          • Terrain constructible - 850 m²
                          • Terrain constructible - 850 m²
                          • Terrain constructible - 850 m²
                          • Terrain constructible - 850 m²
                          • Terrain constructible - 850 m² Cliquez pour voir les 8 photos

                          Terrain constructible - 850 m²

                          40 000 €
                          assainissement individuel à prévoir Ce terrain à bâtir vous intéresse ? Configurez votre projet de construction sur ce terrain en ligne sur Maisons-Alysia(.com) : • + de 250 modèles de maisons personnalisables • Une base de données de plusieurs milliers de terrains • Des matériaux et des équipements premium • Les prix les plus bas constatés sur le marché • Les meilleurs fina
                          Professionnel Publié aujourd'hui à 09:11 Non géolocalisée
                          Lannebert
                          1

                          Vente de terrain à Tréméven

                          (17.3 km)
                          • Terrain constructible - 790 m²
                          • Terrain constructible - 790 m²
                          • Terrain constructible - 790 m²
                          • Terrain constructible - 790 m²
                          • Terrain constructible - 790 m²
                          • Terrain constructible - 790 m² Cliquez pour voir les 8 photos

                          Terrain constructible - 790 m²

                          38 710 €
                          Ce terrain à bâtir vous intéresse ? Configurez votre projet de construction sur ce terrain en ligne sur Maisons-Alysia(.com) : • + de 250 modèles de maisons personnalisables • Une base de données de plusieurs milliers de terrains • Des matériaux et des équipements premium • Les prix les plus bas constatés sur le marché • Les meilleurs financements avec des partenaires experts
                          Professionnel Publié le 16 janv. à 08:55 Non géolocalisée
                          Tréméven
                          5

                          Ventes de terrains à Plélo

                          (17.6 km)
                          • Terrain constructible - 402 m²
                          • Terrain constructible - 402 m²
                          • Terrain constructible - 402 m²
                          • Terrain constructible - 402 m²
                          • Terrain constructible - 402 m²
                          • Terrain constructible - 402 m² Cliquez pour voir les 8 photos

                          Terrain constructible - 402 m²

                          46 400 €
                          Ce terrain à bâtir vous intéresse ? Configurez votre projet de construction sur ce terrain en ligne sur Maisons-Alysia(.com) : • + de 250 modèles de maisons personnalisables • Une base de données de plusieurs milliers de terrains • Des matériaux et des équipements premium • Les prix les plus bas constatés sur le marché • Les meilleurs financements avec des partenaires experts
                          Professionnel Publié aujourd'hui à 09:11 Non géolocalisée
                          Plélo
                          • Terrain - 875 m²
                          • Terrain - 875 m²

                          Terrain - 875 m²

                          54 500 €
                          Iad France - Geoffrey Marie vous propose : Découvrez ce terrain constructible de 875 m², situé en pleine campagne dans un environnement calme et verdoyant. Parfait pour concrétiser un projet de construction d’une ou plusieurs maisons, il offre un cadre de vie paisible, idéal pour ceux qui recherchent nature et sérénité. Non viabilisé, il nécessite les raccordements à l’eau, à l
                          Professionnel Publié il y a plus de 7 jours
                          Plélo
                          • Terrain - 1 058 m²
                          • Terrain - 1 058 m²
                          • Terrain - 1 058 m²

                          Terrain - 1 058 m²

                          79 000 €
                          Iad France - Geoffrey Marie vous propose : Découvrez ce terrain constructible de 1 058 m², situé en pleine campagne et offrant un cadre verdoyant et paisible. Idéal pour réaliser la construction d’une ou plusieurs maisons, il permettra de concrétiser un projet de vie serein, loin de l’agitation urbaine. Non viabilisé, il nécessite le raccordement à l’eau, à l’électricité et à l
                          Professionnel Publié il y a plus de 7 jours
                          Plélo
                          • Terrain constructible - 997 m²
                          • Terrain constructible - 997 m²
                          • Terrain constructible - 997 m²
                          • Terrain constructible - 997 m²
                          • Terrain constructible - 997 m²

                          Terrain constructible - 997 m²

                          64 900 €
                          Terrain de 997 m2 à vendre à Plélo, libre de constructeur, dans un hameau au coeur de la campagne tout en restant proche des commodités. Ce terrain vous permettra de rejoindre rapidement la RN 12 idéal pour vous rendre rapidement à Saint Brieuc ou à Guingamp. La parcelle est bornée, mais non viabilisée. Une fosse septique est à prévoir. Ce terrain est idéal pour les personnes q
                          Professionnel Publié il y a plus de 7 jours Non géolocalisée
                          Plélo
                          • Terrain - 997 m²
                          • Terrain - 997 m²
                          • Terrain - 997 m²

                          Terrain - 997 m²

                          64 900 €
                          Man Immo vous propose un terrain constructible de 997 m2 sur la commune de Plélo dans un hameau à proximité de la RN12. Si vous aimez la campagne et la nature, ce terrain conviendra à votre futur projet de construction. Le terrain est borné mais non viabilisé, fosse septique à prévoir. Le terrain est libre de constructeur. Les informations sur les risques auxquels le bien est
                          Professionnel Publié il y a plus de 7 jours
                          Plélo Parking

                          Achat d'un terrain à Grâces. Toutes les ventes immobilières à Grâces et aux environs. Terrain à vendre.

                          Recherche en cours...
                          Rechercher dans cette zone