• Terrain - 464 m²
  • Terrain - 464 m²
  • Terrain - 464 m²
  • Terrain - 464 m²
189 000 €
464 m²

Description :

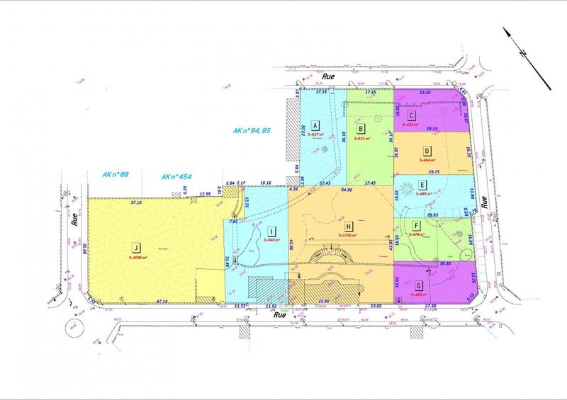
À vendre ? Terrain de 464 m² à Franconville-la-Garenne, avec une façade sur rue d'environ 16 mSitué en zone UI du PLU actuellement en vigueur sur la commune et hors du périmètre des Bâtiments de France, ce terrain dispose d'un certificat d'urbanisme opérationnel et d'une étude G1, fournis sur demande, alors prêt pour votre projet résidentiel sur-mesure ?Règles d'implantation et construction :* Implantation en retrait minimum de 5 m par rapport à l'alignement* Possibilité de s'implanter sur une limite ou en retrait (4 m si la façade vis-à-vis de la limite séparative ne comporte aucune ouverture créant des vues)* Hauteur maximale : 8 m au faîtageAtouts : proximité immédiate des écoles, commerces, transports et axes routiers, dans un environnement agréableUne opportunité rare dans Franconville.Pour plus de précisions et organiser une visite, contactez Anne-Charlotte au 06 08 98 92 63.Le plan de géomètre est téléchargeable sur notre site.Un ERRIAL (Etat des Risques Réglementés pour l'Information des Acquéreurs et des Locataires) et les informations sur les risques auxquels ce bien est exposé, sont disponibles sur le site Géorisques : www. georisques. gouv. fr ou transmis sur demande

Afficher plus de détails

Informations sur ce bien :

L'intérieur :

  • 464 m²

L'extérieur :

  • Parking

Terrain :

  • Viabilisé :
    Non
Synthèse
Terrain à Franconville
189 000 €
Surface : 464 m²
Prix au m² : 407 €
Transaction :
Achat
Référence :
AG436-2825
Date de publication :
Il y a plus de 7 jours
Terrain - 464 m²
Agent
VENDEZ VOTRE MAISON
VENDEZ VOTRE MAISON
Appeler
Écrire
Mettre en avant cette annonce
Signaler une erreur

Localisation :

L'adresse exacte n'est pas renseignée. Le bien se situe dans cette zone.
Annonces similaires
Annonces immobilières récentes