• Terrain - 631 m²
  • Terrain - 631 m²
  • Terrain - 631 m²
  • Terrain - 631 m²
229 000 €
631 m²

Description :

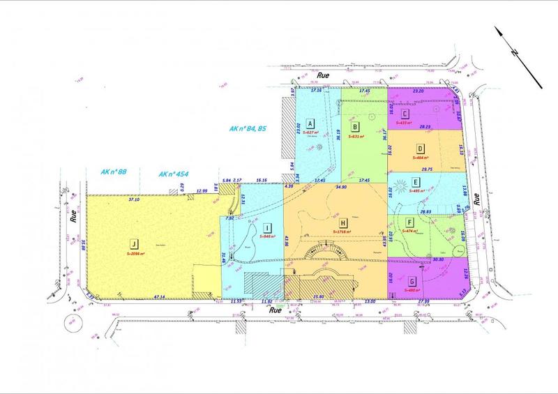
À vendre ? Rare terrain de 631 m² à Franconville-la-Garenne, avec façade de plus de 17 mEn zone UI et hors périmètre des Bâtiments de France, ce terrain dispose d'un certificat d'urbanisme opérationnel, prêt pour votre projet résidentiel sur-mesure.Règles d'implantation et construction :Implantation en retrait minimum de 5 m par rapport à l'alignementPossibilité de s'implanter sur une limite ou en retrait (4 m si la façade vis-à-vis de la limite séparative ne comporte aucune ouverture créant des vues)Hauteur maximale : 8 m au faîtageAtouts : proximité immédiate des écoles, commerces, transports et axes routiers, dans un environnement agréableUne opportunité rare dans Franconville.Contact : Anne-Charlotte au 06 08 98 92 63Le plan de géomètre est téléchargeable sur notre site.Certificat d'urbanisme opérationnel et etude de sol G1 disponible sur demande.Un ERRIAL (Etat des Risques Réglementés pour l'Information des Acquéreurs et des Locataires) et les informations sur les risques auxquels ce bien est exposé, sont disponibles sur le site Géorisques : www. georisques. gouv. fr ou transmis sur demande

Afficher plus de détails

Informations sur ce bien :

L'intérieur :

  • 631 m²

L'extérieur :

  • Parking

Terrain :

  • Viabilisé :
    Non
Synthèse
Terrain à Ermont
229 000 €
Surface : 631 m²
Prix au m² : 363 €
Transaction :
Achat
Référence :
AG436-2770
Date de publication :
Il y a plus de 7 jours
Terrain - 631 m²
Agent
VENDEZ VOTRE MAISON
VENDEZ VOTRE MAISON
Appeler
Écrire
Mettre en avant cette annonce
Signaler une erreur

Localisation :

L'adresse exacte n'est pas renseignée. Le bien se situe dans cette zone.
Annonces similaires
Annonces immobilières récentes