Terrain - 706 m² à Écommoy
favoris
41 000 €
Description :
Opportunité à moins de 500 m de la gare d'Ecommoy.
Nouveau terrain à vendre sur la commune D'ECOMMOY . SECTEUR GARE .
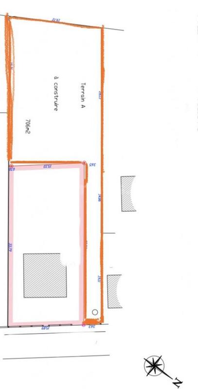
Belle opportunité pour ce terrain constructible hors lotissement d'une surface de 706 m², le bornage a été effectué, terrain à viabilisé. Tous les réseaux passe à proximité, eau, électricité et tout-à-l'égout.
Terrain plat, avec accès par une allée privative, voir terrain entouré de traits orange sur la photo numéro deux.
Contacter Sébastien Bovagnet au 06 38 30 72 06
Contactez Sébastien BOVAGNET au 06 38 30 72 06. N° RSAC : 78992028700032
Afficher plus de détails
Informations sur ce bien :
L'intérieur :
-
706 m²
L'extérieur :
-
Parking
Terrain :
-
Constructible :Oui
-
Viabilisé :Non
Synthèse
Terrain à Écommoy
41 000 €
Surface :
706 m²
Prix au m² :
58 €
Transaction :
Achat
Référence :
7325
Mandat :
Exclusif
Date de publication :
Il y a plus de 7 jours
Contacter l'annonceur
Agent
MCI.IMMO
Sébastien BOVAGNET
Mettre en avant cette annonce
Signaler une erreur
Localisation :
L'adresse exacte n'est pas renseignée. Le bien se situe dans cette zone.
Ventes de terrains à proximité
- 2 ventes de terrains à Marigné-Laillé (5.1 km)
- 3 ventes de terrains à Saint-Mars-d'Outillé (6.2 km)
- 3 ventes de terrains à Laigné-en-Belin (6.5 km)
- 1 vente de terrain à Teloché (6.6 km)
- 2 ventes de terrains à Yvré-le-Pôlin (8.9 km)
- 13 ventes de terrains à Moncé-en-Belin (8.9 km)
- 4 ventes de terrains à Mulsanne (9 km)
- 1 vente de terrain à Pontvallain (10.5 km)
- 3 ventes de terrains à Brette-les-Pins (10.7 km)