Retour
Rechercher
Lieu
Où ?
    Type de bien
    Quel type de projet ?
    Particulier Entreprise
    Quel type de bien ?
        Prix
        Quel budget ?
              Surface
              Quelle surface ?
                    Pièces
                    Combien de pièces ?
                      Combien de chambres ?
                          1

                          Vente de terrain à Crossac

                          Recherche 1
                          Carte
                          • Terrain - 3 049 m²
                          • Terrain - 3 049 m²
                          • Terrain - 3 049 m²

                          Terrain - 3 049 m²

                          58 000 €
                          Venez découvrir ce jolie terrain de 3 049m² non viabilisé. Celui-ci est constructible sur le 1er tiers du terrain d'environ 330m² avec une façade de 22 mètre et une profondeur d'environ 15 mètre. Situé en hameau, entre Crossac et Besné, il est accessible par un chemin privé avec une belle exposition et vue dégagée sur la nature qui vous garantira toute tranquillité ! Assaini
                          Professionnel Publié il y a plus de 7 jours Non géolocalisée
                          Crossac
                          1

                          Vente de terrain à Saint-Joachim

                          (3.8 km)
                          • Terrain - 400 m²
                          • Terrain - 400 m²
                          • Terrain - 400 m²
                          • Terrain - 400 m²
                          • Terrain - 400 m²

                          Terrain - 400 m²

                          71 000 €
                          Beau terrain constructible de 400 m2, non viabilisé mais desservi en eau potable, eaux usées et électricité, proche du bourg de Saint-Joachim et des écoles. Cette annonce référence 261967 vous est présentée par votre agent commercial BSK Immobilier CATHERINE CINTRÉ (EI) immatriculé au RSAC de SAINT-NAZAIRE (44600) sous le numéro 47824247200023. Prix du bien : 71 000,00 € Les
                          Professionnel Publié il y a plus de 7 jours
                          Saint-Joachim
                          5

                          Ventes de terrains à Sainte-Reine-de-Bretagne

                          (4 km)
                          • Terrain - 942 m²
                          • Terrain - 942 m²
                          • Terrain - 942 m²
                          • Terrain - 942 m²

                          Terrain - 942 m²

                          62 000 €
                          Vous recherchez un cadre paisible pour votre future maison ? Venez découvrir ce beau terrain à bâtir de 942 m² dont 625 m² entièrement constructible. Ses atouts : Environnement calme et agréable Chemin d'accès privé de 20 m Belle façade de 20 m Entièrement clos Puit sur le terrain Terrain libre de constructeur Assainissement individuel à prévoir. Tous les autres réseaux passent
                          Professionnel Publié il y a plus de 7 jours
                          Sainte-Reine-de-Bretagne
                          • Terrain - 1 362 m²
                          • Terrain - 1 362 m²

                          Terrain - 1 362 m²

                          105 000 €
                          TERRAIN CONSTRUCTIBLE DE 1362 M² EN PLEIN BOURG Ce terrain, idéalement situé, bénéficie d'un environnement calme et verdoyant, parfait pour accueillir la construction de votre future maison. Sa surface généreuse vous offre de nombreuses possibilités d'aménagement, que ce soit pour une maison familiale spacieuse, un jardin paysager ou toute autre réalisation de vos rêves. La l
                          Professionnel Publié il y a plus de 7 jours Non géolocalisée
                          Sainte-Reine-de-Bretagne Parking
                          • Terrain - 1 231 m²
                          • Terrain - 1 231 m²
                          • Terrain - 1 231 m²
                          • Terrain - 1 231 m²
                          • Terrain - 1 231 m²
                          • Terrain - 1 231 m² Cliquez pour voir les 12 photos

                          Terrain - 1 231 m²

                          69 000 €
                          Iad France - Mario Falade vous propose : Terrain constructible de 1 231 m² à Sainte-Reine-de-Bretagne 44160 Situé à seulement 6 min à pied et 2 min en voiture du centre bourg de Sainte-Reine-de-Bretagne, et à seulement 5 min de Pontchâteau. Commerces, école, restaurant et centre de loisirs accessibles à pied, dans un quartier résidentiel calme et recherché. Un ancien atelier es
                          Professionnel Publié il y a plus de 7 jours
                          Sainte-Reine-de-Bretagne
                          • Terrain - 755 m²
                          • Terrain - 755 m²
                          • Terrain - 755 m²
                          • Terrain - 755 m²

                          Terrain - 755 m²

                          61 500 €
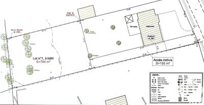
                          Iad France - Fany Guerif vous propose : Superbe opportunité à Sainte-Reine-de-Bretagne ! Découvrez ce terrain constructible de 755 m² en second rideau + chemin d'accès indivis de 47ml. Le terrain est exposé sud-ouest et propose une façade de 21,9ml. La parcelle est non viabilisée, tous réseaux accessibles sur la voirie (électricité, télécom et tout à l'égout). Terrain libre de
                          Professionnel Publié il y a plus de 7 jours
                          Sainte-Reine-de-Bretagne
                          • Terrain - 1 572 m²
                          • Terrain - 1 572 m²

                          Terrain - 1 572 m²

                          104 500 €
                          Iad France - Laurence Frances vous propose : Terrain Exceptionnel d'environ 1571.5 m² - Rare Opportunité ! À vendre, centre Sainte Reine de Bretagne, superbe terrain d'une superficie totale de 1571.5 m² constructibles. Ce terrain offre une rare occasion de construire la maison de vos rêves dans un cadre paisible. Ce terrain exceptionnel est non viabilisé mais desservi en eau, e
                          Professionnel Publié il y a plus de 7 jours
                          Sainte-Reine-de-Bretagne
                          6

                          Ventes de terrains à Besné

                          (6 km)
                          Terrain - 380 m²

                          Terrain - 380 m²

                          85 500 €
                          Iad France - Virginie Pincini vous propose : Opportunité Rare : Terrain à Bâtir de 380 m² à Besné, Vous rêvez de construire la maison de vos rêves ? Cette parcelle de terrain à bâtir de 380 m² à Besné est l'opportunité idéale pour concrétiser votre projet de construction personnalisée. Les réseaux essentiels tels que l'électricité, l'eau potable et les eaux usées sont présents
                          Professionnel Publié il y a plus de 7 jours
                          Besné
                          Terrain - 379 m²

                          Terrain - 379 m²

                          85 000 €
                          Iad France - Virginie Pincini vous propose : Opportunité Rare : Terrain à Bâtir de 379 m² à Besné, Vous rêvez de construire la maison de vos rêves ? Cette parcelle de terrain à bâtir de 379 m² à Besné est l'opportunité idéale pour concrétiser votre projet de construction personnalisée. Les réseaux essentiels tels que l'électricité, l'eau potable et les eaux usées sont présents
                          Professionnel Publié il y a plus de 7 jours
                          Besné
                          Terrain - 363 m²

                          Terrain - 363 m²

                          55 000 €
                          Iad France - Manon Jacqmart vous propose : À vendre - Terrain à Bâtir de 364 m² viabilisé en électricité et tabouret de tout à l'égout. Emplacement Idéal à Besné proche centre mais pas en lotissement. Rare sur le marché à ce prix. Sa façade de 14,5 m vous permet de réaliser votre projet de construction et bâtir la maison dont vous avez toujours rêvé à étage ou de plein pied. N'
                          Professionnel Publié il y a plus de 7 jours
                          Besné
                          • Terrain - 880 m²
                          • Terrain - 880 m²

                          Terrain - 880 m²

                          83 650 €
                          BESNÉ - 44160 - TERRAIN - 83 650 € FAI. Efficity, l'agence qui estime votre bien en ligne vous propose ce terrain constructible à BESNÉ . Le terrain de 880 m2 se situe à 3 km du bourg de Besné (une pharmacie, supérette, bureau de poste, boulangerie, maison médicale, deux écoles primaires public et privé), à 6 km du bourg de Prinquiau (4 voies Nantes /Saint Nazaire), 10 km d
                          Professionnel Publié il y a plus de 7 jours
                          Besné
                          Terrain - 364 m²

                          Terrain - 364 m²

                          55 000 €
                          Iad France - Arnaud Pedreau vous propose : En co-exclusivité dans notre réseau et la société Jaden. Terrain à Bâtir de 364 m² viabilisé en électricité et tabouret de tout à l'égout. Emplacement Idéal à Besné proche centre mais pas en lotissement. Rare sur le marché à ce prix. Sa façade de 14,5 m vous permet de réaliser votre projet de construction et bâtir la maison dont vous a
                          Professionnel Publié il y a plus de 7 jours
                          Besné
                          16

                          Ventes de terrains à Pontchâteau

                          (6.6 km)
                          • Terrain - 953 m²
                          • Terrain - 953 m²
                          • Terrain - 953 m²
                          • Terrain - 953 m²

                          Terrain - 953 m²

                          89 000 €
                          À vendre – Terrain constructible de 953 m² – Ponchâteau (8 minutes du centre) Situé dans un environnement calme sur la commune de Ponchâteau, à seulement 8 minutes du centre, ce terrain constructible de 953 m² offre un cadre idéal pour votre projet de construction. Libre de constructeur, il vous permet de donner vie à la maison qui vous ressemble, en toute liberté. Le terrai
                          Professionnel Publié il y a plus de 7 jours
                          Pontchâteau
                          • Terrain - 518 m²
                          • Terrain - 518 m²
                          • Terrain - 518 m²

                          Terrain - 518 m²

                          75 000 €
                          Iad France - Noelle Briand vous propose : PONCHATEAU-NOUVEAUTÉ-EXCLUSIVITÉ- TERRAIN 518 m². Terrain Constructible de 518 m² à Pontchâteau - Idéal pour Projet de Construction Rare sur le marché, ce terrain constructible de 518 m² est disponible à Pontchâteau pour concrétiser votre projet de construction sur mesure. Situé dans un environnement verdoyant, ce terrain offre de multi
                          Professionnel Publié il y a plus de 7 jours
                          Pontchâteau
                          Terrain - 558 m²

                          Terrain - 558 m²

                          75 000 €
                          Iad France - Franck Legendre vous propose : .
                          Professionnel Publié il y a plus de 7 jours
                          Pontchâteau
                          • Terrain - 1 322 m²
                          • Terrain - 1 322 m²

                          Terrain - 1 322 m²

                          76 000 €
                          Terrain de 1320 m², très au calme, la viabilisation et l'assainissement sont à faire. L'orientation ? au Sud ! Vous êtes à moins de 5 min de la 4 voies de Pontchâteau et entre les commerces de Pont-Château, Drefféac et de Saint-Gildas-des-Bois. Les informations sur les risques auxquels ce bien est exposé sont disponibles sur le site Géorisques : www.georisques.gouv.fr Prix de v
                          Professionnel Publié il y a plus de 7 jours
                          Pontchâteau
                          • Terrain - 1 322 m²
                          • Terrain - 1 322 m²

                          Terrain - 1 322 m²

                          76 000 €
                          Terrain de 1320 m², à viabiliser et avec un assainissement individuel à prévoir Orientation plein Sud ! Les informations sur les risques auxquels ce bien est exposé sont disponibles sur le site Géorisques : www.georisques.gouv.fr Prix de vente : 76 000 € Honoraires charge vendeur Contactez votre conseiller SAFTI : Cynthia AUBREY, Tél. : 06 84 05 07 66, E-mail : cynthia.aubrey@s
                          Professionnel Publié il y a plus de 7 jours
                          Pontchâteau
                          6

                          Ventes de terrains à Saint-Malo-de-Guersac

                          (6.7 km)
                          • Terrain - 777 m²
                          • Terrain - 777 m²
                          • Terrain - 777 m²
                          • Terrain - 777 m²

                          Terrain - 777 m²

                          106 000 €
                          Nouveauté ! Seulement chez ORPI! Sur l'axe St Malo de Guersac -Saint Joachim, proche bourg, Terrain à bâtir de 777m² borné Terrain en drapeau avec accès privé, façade de 21,97m, Libre de constructeur, L'accès sera empierré sur environ 36m avec fourreaux extension de réseau prévue( eau, télécom et tout à l'égout). Possibilité maison de plain pied ou maisons Jumelles. La via
                          Professionnel Publié il y a plus de 7 jours Non géolocalisée
                          Saint-Malo-de-Guersac
                          • Terrain constructible - 268 m²
                          • Terrain constructible - 268 m²
                          • Terrain constructible - 268 m²
                          • Terrain constructible - 268 m²
                          • Terrain constructible - 268 m²

                          Terrain constructible - 268 m²

                          37 698 €
                          À propos du terrain Superficie : 268 m², orienté Est–Ouest, idéal pour maximiser l'ensoleillement et l'agencement intérieur. Prix : 37 698 € TTC (lot C02) — une offre compétitive dans un quartier en plein développement Ville de Saint-Malo-de-Guersac Ce terrain se trouve dans la ZAC de La Gagnerie du Boucha, un quartier durable et naturel soigneusement aménagé avec des haies et
                          Professionnel Publié il y a plus de 7 jours Non géolocalisée
                          Saint-Malo-de-Guersac
                          • Terrain - 563 m²
                          • Terrain - 563 m²

                          Terrain - 563 m²

                          68 990 €
                          Iad France - Nicolas Guilleau vous propose : Opportunité : Terrain Constructible de 563 m² – Saint-Malo-de-Guersac À vendre : beau terrain de 563 m², situé dans un quartier calme et recherché de Saint-Malo-de-Guersac. Les + du terrain : Bonne exposition Terrain clos avec 17m de façade Parcelle bornée Réseaux (eau, électricité, assainissement) disponibles sur la route Terrain no
                          Professionnel Publié il y a plus de 7 jours
                          Saint-Malo-de-Guersac
                          • Terrain - 518 m²
                          • Terrain - 518 m²

                          Terrain - 518 m²

                          68 000 €
                          Iad France - Virginie Pincini vous propose : Terrain constructible proche du centre bourg de Saint-Malo de Guersac et de ses commodités- Parcelle de 518 m². Idéalement située. Exposition Sud Est. Rare sur le marché. Offrant une belle opportunité pour concrétiser votre projet de construction de maison sur mesure. Honoraires d'agence à la charge de l'acquéreur. Prix honoraires in
                          Professionnel Publié il y a plus de 7 jours
                          Saint-Malo-de-Guersac
                          • Terrain - 976 m²
                          • Terrain - 976 m²
                          • Terrain - 976 m²

                          Terrain - 976 m²

                          85 000 €
                          Iad France - Séverine Ceriani vous propose : * EN EXCLUSIVITE * Secteur idéal, au calme (proche arrêt de bus, écoles, commerces) : Terrain Constructible de 976 m², non viabilisé mais proche des réseaux ! Facade de 11m5 et possibilité d'agrandir avec l'achat d'un petit terrain à coté N'hésitez pas à me contacter pour de plus amples renseignements Conseillère joignable 7 / 7 Hono
                          Professionnel Publié il y a plus de 7 jours
                          Saint-Malo-de-Guersac
                          5

                          Ventes de terrains à La Chapelle-des-Marais

                          (6.9 km)
                          • Terrain - 1 110 m²
                          • Terrain - 1 110 m²
                          • Terrain - 1 110 m²
                          • Terrain - 1 110 m²

                          Terrain - 1 110 m²

                          81 000 €
                          Iad France - Manuella Haumont vous propose : À VENDRE – Terrain constructible 1110 m², proche des commodités. Beau terrain plat en drapeau, entièrement clôturé et borné, situé en zone UBA3. Superficie : 1110 m² Accès : 72 ml Façade : 26 m Emprise au sol : 60 % À viabiliser (tous les réseaux sont présents en façade de rue : eau, électricité, télécom, tout-à-l’égout, fibre) Expos
                          Professionnel Publié il y a plus de 7 jours
                          La Chapelle-des-Marais
                          • Terrain - 1 110 m²
                          • Terrain - 1 110 m²
                          • Terrain - 1 110 m²
                          • Terrain - 1 110 m²

                          Terrain - 1 110 m²

                          81 000 €
                          Découvrez ce magnifique terrain à bâtir (2ème rideau) de 1110 m² situé au calme et à proximité du bourg, avec un chemin d'accès de 72 m. Il bénéficie d'une belle façade de 26m et se trouve en zone UBa3, parfait pour une construction de plain pied. Le terrain est borné, les réseaux (eau, électricité, fibre et tout à l'égout) sont en bord de route, il ne reste plus qu'à le viabil
                          Professionnel Publié il y a plus de 7 jours
                          La Chapelle-des-Marais
                          • Terrain - 965 m²
                          • Terrain - 965 m²

                          Terrain - 965 m²

                          56 000 €
                          Ce terrain à bâtir offre un cadre de vie alliant le calme et la proximité des commerces et écoles. Constructible sur 656 m² et une emprise au sol d'environ 390 m². Borné, non viabilisé (les réseaux passent en bordure du terrain : TTE, eau, électricité et fibre). 8 m de large. Libre de constructeur. Les informations sur les risques auxquels ce bien est exposé sont disponibles su
                          Professionnel Publié il y a plus de 7 jours
                          La Chapelle-des-Marais
                          • Terrain - 664 m²
                          • Terrain - 664 m²

                          Terrain - 664 m²

                          72 000 €
                          Beau terrain de 664 m² borné et plat situé dans un hameau dans un environnement boisé et au calme. Ce terrain est entièrement constructible, viabilisé en bordures et de forme carré. Venez découvrir cet environnement paisible et verdoyant au coeur du parc de la Brière. Les informations sur les risques auxquels ce bien est exposé sont disponibles sur le site Géorisques : www.geor
                          Professionnel Publié il y a plus de 7 jours
                          La Chapelle-des-Marais
                          • Terrain constructible - 541 m²
                          • Terrain constructible - 541 m²

                          Terrain constructible - 541 m²

                          72 500 €
                          Dans un coin calme du centre de la Chapelle Des Marais, terrain de 541m2 situé dans un petit lotissement. Façade d'environ 20m, viabilisé. Proche des commerces et écoles. Référence agence : 170
                          Professionnel Publié il y a plus de 7 jours Non géolocalisée
                          La Chapelle-des-Marais
                          11

                          Ventes de terrains à Missillac

                          (7.9 km)
                          • Terrain - 220 m²
                          • Terrain - 220 m²
                          • Terrain - 220 m²
                          • Terrain - 220 m²

                          Terrain - 220 m²

                          35 000 €
                          Idéal bricoleur ! Ce terrain d'environ 220m² possède deux bâtiments en pierres à conserver ou à démolir ! Il est possible de créer une d'environ 66m² au sol sur 2 niveaux. Non viabilisé, assainissement individuel à prévoir. Pour plus de renseignements ou pour une visite contactez moi 06.08.07.57.63 Votre agence immobilière West'immo à Sainte Reine de Bretagne We Invest, vous
                          Professionnel Publié il y a plus de 7 jours Non géolocalisée
                          Missillac Parking
                          • Terrain - 400 m²
                          • Terrain - 400 m²
                          • Terrain - 400 m²

                          Terrain - 400 m²

                          56 000 €
                          Situé sur la charmante commune de Missillac, à 3min de la N165 soit 45min de Nantes ou de Vannes, 10min de Pontchâteau, 30min de Saint-Nazaire ou Redon, et à 35min des premières plages. Découvrez ce terrain entièrement constructible de 400 m² situé en hameau dans un cadre naturel et bucolique, en zone Ah1. Dans ce hameau à 4min du centre bourg (commerces essentiels, écoles, méd
                          Professionnel Publié il y a plus de 7 jours
                          Missillac
                          • Terrain - 1 424 m²
                          • Terrain - 1 424 m²
                          • Terrain - 1 424 m²
                          • Terrain - 1 424 m²
                          • Terrain - 1 424 m²

                          Terrain - 1 424 m²

                          86 900 €
                          MISSILLAC - 44780 - TERRAIN - 86 900 FAI. Efficity, l'agence qui estime votre bien en ligne vous propose ce terrain en drapeau constructible à Missillac. Surface 1424 m2 clôturé. Terrain constructible, non viabilisé. Terrain hors lotissement, vous êtes à 2 km du centre de Missillac et à 2km de la 4 voies NANTES / VANNES . Pour plus de détails, contactez votre conseiller.
                          Professionnel Publié il y a plus de 7 jours
                          Missillac
                          • Terrain - 964 m²
                          • Terrain - 964 m²

                          Terrain - 964 m²

                          75 000 €
                          Terrain constructible de 964 m2 à Missillac.. Situé dans un environnement calme et verdoyant, ce terrain non viabilisé est idéal pour votre projet de construction. Il faudra prévoir une micro station. Façade de 24 m Ce petit coin de verdure est à seulement 2 kms des commerces, écoles et services de la Chapelle des Marais et très proche du centre d'Herbignac. Il bénéficie d'une
                          Professionnel Publié il y a plus de 7 jours
                          Missillac
                          • Terrain - 1 023 m²
                          • Terrain - 1 023 m²
                          • Terrain - 1 023 m²
                          • Terrain - 1 023 m²
                          • Terrain - 1 023 m²

                          Terrain - 1 023 m²

                          61 000 €
                          Iad France - Julien Hidoux vous propose : En exclusivité, situé en campagne, terrain à bâtir d'une surface d’environ 1023 m², avec une façade d’environ 26 mètres. Le terrain comprend une bâtisse en pierre d’environ 40 m² au sol ainsi qu’un garage en parpaing d’environ 24 m². Le bien est desservi en EAU, EDF et télécom en bordure de route. (Assainissement individuel à prévoir) E
                          Professionnel Publié il y a plus de 7 jours
                          Missillac

                          Achat d'un terrain à Crossac. Toutes les ventes immobilières à Crossac et aux environs. Terrain à vendre.

                          Recherche en cours...
                          Rechercher dans cette zone