• Terrain - 1 631 m²
  • Terrain - 1 631 m²
  • Terrain - 1 631 m²
  • Terrain - 1 631 m²
  • Terrain - 1 631 m²
  • Terrain - 1 631 m²
  • Terrain - 1 631 m²
  • Terrain - 1 631 m²
  • Terrain - 1 631 m²
  • Terrain - 1 631 m²
60 900 €
1 631 m²

Description :

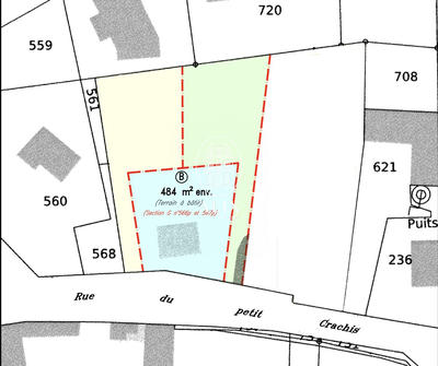
Iad France - Stéphanie Younes vous propose : Opportunité à saisir A Corquilleroy Buges Magnifique TERRAIN A BATIR plat et dégagé DE 1631 m² AVEC FACADE ARRIERE DE 62.29M et environ 50M de façade à l'avant, terrain en 2nd position d'une distance de 30m de la rue ou se trouve tous les réseaux existants pour le raccordement. Tout à l'égout disponible, secteur avec la fibre, Passage de 4 m minimum prévu d'accès par chemin privatif compris avec la parcelle, terrain partiellement clôturé ( à l'arrière et sur les cotés) Secteur Calme pavillonnaire, non loin de Cepoy Etude de sol réalisé, CU opérationnel secteur UB2 N'hésitez pas à me contacter pour visiter Honoraires d'agence à la charge du vendeur. Bien non soumis au DPE. Les informations sur les risques auxquels ce bien est exposé, y compris l'obligation légale de débroussaillement, sont disponibles sur le site Géorisques : http://www.georisques.gouv.fr. La présente annonce immobilière a été rédigée sous la responsabilité éditoriale de Mme Stéphanie Younes mandataire indépendant en immobilier (sans détention de fonds), agent commercial de la SAS I@D France immatriculé au RSAC de orlean sous le numéro 529936148, titulaire de la carte de démarchage immobilier pour le compte de la société I@D France SAS.

Afficher plus de détails

Informations sur ce bien :

L'intérieur :

  • 1 631 m²

Autres :

  • Mitoyenneté :
    Non

Terrain :

  • Viabilisé :
    Non
Synthèse
Terrain à Corquilleroy
60 900 €
Surface : 1 631 m²
Prix au m² : 37 €
Transaction :
Achat
Référence :
1884584
Date de publication :
Il y a plus de 7 jours
Terrain - 1 631 m²
Agent
iad france
iad france
Stéphanie Younes
Appeler
Écrire
Mettre en avant cette annonce
Signaler une erreur

Localisation :

L'adresse exacte n'est pas renseignée. Le bien se situe dans cette zone.
Annonces similaires
Annonces immobilières récentes