Terrain constructible - 3 415 m² à Châtel-Guyon
favoris
82 400 €
Description :
CHATEL-GUYON (Saint-Hippolyte) : Beau terrain constructible 3415 m²
en bordure d’une grande forêt - belle vue - quartier calme
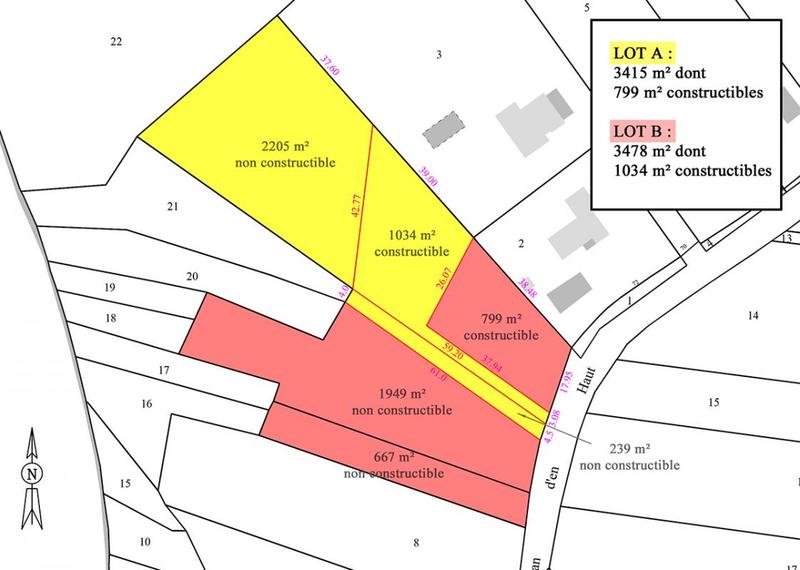
Lot A : 3415 m² dont 799 m² en zone URv "constructible" + 2626 m² en zone N "non constructible".
Si vous êtes intéressés par plus d'informations, la géolocalisation, les surfaces, plus de photos... nous vous remercions de consulter notre site internet mombazet fr ou nous appeler à l'agence au 0473861441.
Afficher plus de détails
Informations sur ce bien :
L'intérieur :
-
3 415 m²
Terrain :
-
Viabilisé :Non
Synthèse
Terrain constructible à Châtel-Guyon
82 400 €
Surface :
3 415 m²
Prix au m² :
24 €
Transaction :
Achat
Référence :
016i3_lot_A
Date de publication :
Il y a plus de 7 jours
Contacter l'annonceur
Agent
MOMBAZET IMMOBILIER
Mettre en avant cette annonce
Signaler une erreur
Localisation :
L'adresse exacte n'est pas renseignée. Le bien se situe dans cette zone.
Ventes de terrains à proximité
- 9 ventes de terrains à Riom (4.8 km)
- 2 ventes de terrains à Charbonnières-les-Varennes (4.9 km)
- 2 ventes de terrains à Volvic (5.6 km)
- 3 ventes de terrains à Beauregard-Vendon (5.9 km)
- 1 vente de terrain à Ménétrol (6.9 km)
- 10 ventes de terrains à Combronde (7.1 km)
- 2 ventes de terrains à Pessat-Villeneuve (7.2 km)
- 2 ventes de terrains à Châteaugay (7.7 km)
- 2 ventes de terrains au Cheix (9.5 km)