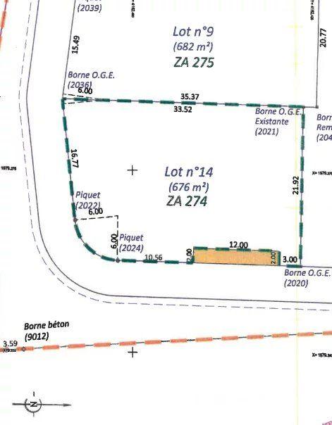
Terrain - 676 m² à Châteauroux-les-Alpes
favoris
122 500 €
Description :
Terrain constructible viabilisé dans lotissement récent Situé dans un cadre agréable et bien desservi, ce terrain constructible de 676 m² est entièrement viabilisé (eau, électricité, assainissement) et prêt à accueillir votre projet immobilier. Idéalement situé dans un lotissement récent, il bénéficie d'une belle exposition, offrant ainsi un maximum de luminosité tout au long de la journée. La vue dégagée sur les environs vous permettra de profiter d'un cadre de vie paisible et agréable. À proximité des commodités et des accès routiers, ce terrain est un véritable coup de coeur pour construire la maison de vos rêves. À visiter sans tarder !
Afficher plus de détails
Informations sur ce bien :
L'intérieur :
-
676 m²
L'extérieur :
-
Parking
Terrain :
-
Viabilisé :Non
Synthèse
Terrain à Châteauroux-les-Alpes
122 500 €
Surface :
676 m²
Prix au m² :
181 €
Transaction :
Achat
Référence :
85115369
Date de publication :
Il y a plus de 7 jours
Contacter l'annonceur
Agent
ARTHURIMMO.COM HAUTES ALP'IMMO
Mettre en avant cette annonce
Signaler une erreur
Localisation :
L'adresse exacte n'est pas renseignée. Le bien se situe dans cette zone.
Ventes de terrains à proximité
- 2 ventes de terrains à Saint-André-d'Embrun (8.5 km)
- 8 ventes de terrains à Embrun (9.6 km)
- 4 ventes de terrains à Puy-Saint-Eusèbe (10.3 km)
- 2 ventes de terrains à Baratier (12.4 km)
- 6 ventes de terrains à Saint-Sauveur (12.5 km)
- 3 ventes de terrains à Crots (12.8 km)
- 5 ventes de terrains à Risoul (13.1 km)
- 6 ventes de terrains à Eygliers (13.2 km)
- 3 ventes de terrains à Guillestre (14.1 km)