Local d'activités - 117 m² à Cesson
Description :
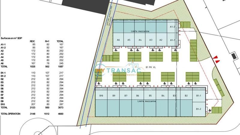
My Transac vous propose à la VENTE des locaux d'activités neufs comprenant 15 cellules sur 2 bâtiments surface à partir de 117m², 333m² et 442m²
Possibilité de réunir plusieurs surfaces
Prestations Activité :
- Hauteur libre : 7m50
- Porte sectionnelle : 2,7m x 3,5m
- Électricité : tarif bleu ou jaune selon la cellule
- Dallage en béton surfacé quartz (surcharge 3T/m²)
- Voirie lourde pour les aires de man?uvre et decirculation
- Site clos et sécurisé
- Accès par un portail coulissant motorisé réglé sur horloge
- Système d'interphone et commande du portail actionnable par téléphone depuis chaque lot
- Prestations Mezzanine :
- Desservie par escalier en béton, main courante métallique et marches carrelées
- Plancher béton dimensionné pour 250 kg/m² de surcharge utile et 100 kg/m² de charge constante
- Chauffage électrique par convecteurs radiants électriques
- Revêtement du sol en moquette en dalles 50x50 cm
- Faux-plafonds en dalles minérales 600x600 mm montées sur ossature métallique
- Eclairage par luminaires LED de 600x600 mm intégré au faux-plafond, 300 lux moyen
Accès :
Autoroute A5 sortie n°12 Cesson ? Vert Saint Denis (6 min)
Francilienne N104 via A5b (10 min)
RER D « Gare de CESSON » (15min)
Bus 31 et 36 arrêts Montdauphin et Fontaine Ronde (5min)
Conditions financières :
Prix de vente : 1800 Euros HT/m²en fonction des lots
Honoraire de commercialisation : 5% HT du prix net vendeur
Informations sur ce bien :
L'intérieur :
-
117 m²
L'extérieur :
-
Parking
Localisation :
Vente de locaux d'activité et entrepôt à proximité
- 1 vente de local d'activité et entrepôt à Vert-Saint-Denis (1 km)
- 3 vente de locaux d'activité et entrepôt à Savigny-le-Temple (4 km)
- 1 vente de local d'activité et entrepôt à Melun (4.6 km)
- 2 vente de locaux d'activité et entrepôt à Pringy (5.5 km)
- 1 vente de local d'activité et entrepôt à Dammarie-les-Lys (5.8 km)
- 14 vente de locaux d'activité et entrepôt à Montereau-sur-le-Jard (5.9 km)
- 30 vente de locaux d'activité et entrepôt à Moissy-Cramayel (7.2 km)
- 7 vente de locaux d'activité et entrepôt à Vaux-le-Pénil (7.4 km)
- 48 vente de locaux d'activité et entrepôt à Saint-Pierre-du-Perray (7.8 km)