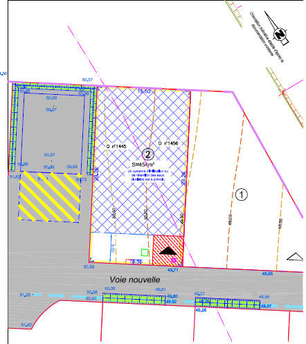
Terrain constructible - 469 m² à Baguer-Pican
favoris
55 900 €
Description :
Laissez vous séduire par un projet personnalisé sur ce terrain de 469 m², situé dans un lotissement de 9 lots à Baguer-Pican.
Terrain vendu borné et viabilisé, à partir de 55 900€.
Sous réserve de la disponibilité des terrains auprès de notre partenaire foncier.
Prix hors frais de Notaire.
Constructeur Néology
Contact 06.83.28.57.21
Afficher plus de détails
Informations sur ce bien :
L'intérieur :
-
469 m²
Autres :
-
Exposition :Sud
Terrain :
-
Viabilisé :Oui
Synthèse
Terrain constructible à Baguer-Pican
55 900 €
Surface :
469 m²
Prix au m² :
119 €
Transaction :
Achat
Référence :
MG-39
Date de publication :
Il y a plus de 7 jours
Contacter l'annonceur
Agent
NEOLOGY
Mathieu GOUEZEL
Mettre en avant cette annonce
Signaler une erreur
Localisation :
L'adresse exacte n'est pas renseignée. Le bien se situe dans cette zone.
Ventes de terrains à proximité
- 17 ventes de terrains à Dol-de-Bretagne (4 km)
- 1 vente de terrain à Epiniac (4.8 km)
- 2 ventes de terrains à Saint-Broladre (4.9 km)
- 4 ventes de terrains à Cherrueix (5.8 km)
- 1 vente de terrain à Baguer-Morvan (6.3 km)
- 3 ventes de terrains au Vivier-sur-Mer (7.7 km)
- 1 vente de terrain à Roz-Landrieux (8.6 km)
- 2 ventes de terrains à Roz-sur-Couesnon (8.9 km)
- 5 ventes de terrains à Hirel (9.5 km)