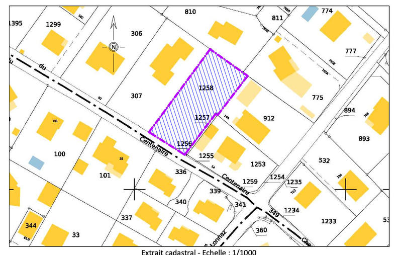
Terrain constructible - 484 m² à Allinges
favoris
150 000 €
Description :
Jolie parcelle plate, issue d'une division
Renseignements par téléphone
Afficher plus de détails
Informations sur ce bien :
L'intérieur :
-
484 m²Informations complémentairesSurface habitable : 484 m²
Terrain :
-
Viabilisé :Non
Synthèse
Terrain constructible à Allinges
150 000 €
Surface :
484 m²
Prix au m² :
310 €
Transaction :
Achat
Référence :
2023F-JC002
Date de publication :
Il y a plus de 7 jours
Contacter l'annonceur
Agent
L'ESPRITRANQUILLE
Mettre en avant cette annonce
Signaler une erreur
Localisation :
L'adresse exacte n'est pas renseignée. Le bien se situe dans cette zone.
Ventes de terrains à proximité
- 1 vente de terrain à Margencel (2.4 km)
- 4 ventes de terrains à Anthy-sur-Léman (3.6 km)
- 4 ventes de terrains à Perrignier (3.8 km)
- 1 vente de terrain à Thonon-les-Bains (4.4 km)
- 5 ventes de terrains à Armoy (4.6 km)
- 6 ventes de terrains à Cervens (5.8 km)
- 2 ventes de terrains à Marin (6.6 km)
- 7 ventes de terrains à Sciez (6.8 km)
- 2 ventes de terrains à Fessy (7.6 km)